ната1805 Опубликовано 29 сентября, 2024 #361 Опубликовано 29 сентября, 2024 @Deem Живот сейчас не увеличен у голубки?
Deem Опубликовано 29 сентября, 2024 Автор #362 Опубликовано 29 сентября, 2024 1 час назад, ната1805 сказал: Тема очень длинная и у голубки букет болезней На всякий случай уточню, что изнально тема была начата по "супругу" Пятачка-голубки, просто живя вместе они стали делить и недуги... В общем конкретно с лёгкими у голубки никогда не наблюдалось проблем: ни отдышки ни кашля, в отличии от Рыжего-голубя. Не хочу кого-то сбить столку названием темы...
маленький принц Опубликовано 29 сентября, 2024 #363 Опубликовано 29 сентября, 2024 14 минут назад, ната1805 сказал: @Deem Живот сейчас не увеличен у голубки? живот у птиц между килем и попой
ната1805 Опубликовано 29 сентября, 2024 #364 Опубликовано 29 сентября, 2024 @Deem Автор-вам надо рентген птице сделать и показать его тут зосе-думаю очень много интересного покажет от-от поликистоза яичника до желточного перитонита Я прочитала внимательно тему и сделала свои выводы Поэтому с нее и выходят эти непонятные куски мяса И это прихрамывание на ногу и вялось и нежелание есть и так далее А при поликистозе яичника как правило наоборот нельзя исскуственные витамины и солнце Но кальций можно И ВООБЩЕ ОСНОВА ЗДОРОВЬЯ ПРОСТО ПОЛНОЦЕННОЕ ПИТАНИЕ-а не исскуственные витамины Я на 99 проц уверена что на рентгене все прояснится-просто сделайте за деньги и выложите тут 3
Deem Опубликовано 29 сентября, 2024 Автор #365 Опубликовано 29 сентября, 2024 13 минут назад, ната1805 сказал: @Deem Живот сейчас не увеличен у голубки? @ната1805, я уже посодил её к "супругу", она очень рвалась, хоть и слаба. Сейчас они отдыхают. Не хочу сглазить сказав, что ей чуть легче, но я в темноте слежу за ними. Отдых тоже лекарство. Про живот точно не скажу, внимания не обратил, но внизу грудки заметил отёки – возможно "сползла" Глюкоза, которую колол под лапки утром.
ната1805 Опубликовано 29 сентября, 2024 #366 Опубликовано 29 сентября, 2024 А вторую птицу голубя самца надо нормально пролечить от трахейных паразитов и клещей и предпологаемой микоплазмы ЕСЛИ ВЫ НЕ МОЖЕТЕ СДАТЬ АНАЛИЗЫ-поэтому комплектно от этого @Deem Делайте срочно ренген-сто проц всю причину узнаете. Я вам уже все пояснила трахейные черви-дают дирофен пасту, клещи-аверсект, микоплазма-самое простое-юнидокс салютаб(или доксициклин) 2
Deem Опубликовано 29 сентября, 2024 Автор #367 Опубликовано 29 сентября, 2024 6 минут назад, ната1805 сказал: Автор-вам надо рентген птице сделать Не могу найти где, как уже писал – последнее место где делали рентген, хоть и не очень чёткий, теперь на бессрочном ремонте. Чуть ли не каждый день звонил им и уточнял весь месяц.
ната1805 Опубликовано 29 сентября, 2024 #368 Опубликовано 29 сентября, 2024 4 минуты назад, Deem сказал: но внизу грудки заметил отёки – возможно "сползла" Глюкоза, которую колол под лапки утром. это не из за глюкозы Только что, Deem сказал: Не могу найти где, как уже писал – последнее место где делали рентген, хоть и не очень чёткий, теперь на бессрочном ремонте. Чуть ли не каждый день звонил им и уточнял весь месяц. ну тогда только гадать-а так на что похоже прям сильно-я вам сказала Отсюда и подход к лечению разный-опухоль-это одно ПЕРИТОНИТ-это другое Все=считайте что информацию вы получили исчерпывающую
Deem Опубликовано 29 сентября, 2024 Автор #369 Опубликовано 29 сентября, 2024 (изменено) Я, конечно, буду искать где сделать рентген. Но ситуация пограничная уже сейчас. Возможно оринетируясь на имеющиеся данные можно как-то облегчить пока состояние? Сейчас они отдыхают и без веской причины я её не хочу беспокоить, но от голубки время от времени слышны клококочущие звуки и нужно знать что может понадобиться, если состояние не изменится или ухудшится. Изменено 29 сентября, 2024 пользователем Deem
ната1805 Опубликовано 29 сентября, 2024 #370 Опубликовано 29 сентября, 2024 7 минут назад, Deem сказал: клококочущие звуки от куда? 8 минут назад, Deem сказал: Возможно что-то можно предположить по имеющимся данным, так я же вам написала что ЭТО МОЖЕТ БЫТЬ-даже два варианта написала хромота, отсутствие аппетита, пропала яйцекладка, зародыши из клоаки выходят....вздут живот отекший 1
Deem Опубликовано 29 сентября, 2024 Автор #371 Опубликовано 29 сентября, 2024 (изменено) @ната1805, я же говорю: из клюва, думаю из трахеи. Изменено 29 сентября, 2024 пользователем Deem
ната1805 Опубликовано 29 сентября, 2024 #372 Опубликовано 29 сентября, 2024 @Deem Это может быть болезнь, что и вашего голубя-совсем другая причина, не связанная с тяжелым состоянием вашей голубки-трахейные паразиты, клещи, микоплазма, и так далее-долго перечислять. иногда когда мне попадались уже на гране жизни и смерти с клокотаниями-я лечила от всего и сразу-времени разбираться не было-мне везло-помогало только не за один день дирофен с авесектом само собой давала-а то так можно и надорвать организм
Deem Опубликовано 29 сентября, 2024 Автор #373 Опубликовано 29 сентября, 2024 (изменено) @ната1805 @маленький принц Утром, или при необходимости снова брать её в руки, осмотрю голубку внимательнее, и тогда скажу про живот уже точно. Но отёки были как от глюкозы и довольно близко к тем местам, куда колол. Изменено 29 сентября, 2024 пользователем Deem
ната1805 Опубликовано 29 сентября, 2024 #374 Опубликовано 29 сентября, 2024 5 минут назад, Deem сказал: Но отёки были как от глюкозы и довольно близко к тем местам, куда колол. смотрите-я не знаю куда вы там кололи и куда что СПОЛЗЛО как вы пишите-любое увеличение живота-всегда серьезная причина Не уходит жидкость с места укола долго-плохо работают почки почему то ПЛОХО РАБОТАЕТ ПОЧКА-потому что может поликистоз давить уже на нее-понимаете-это как вариант пишу. Голубка то не просто так хромает 1
Ильяна Опубликовано 29 сентября, 2024 #375 Опубликовано 29 сентября, 2024 В клюв заглядывали? Не скопилась ли там слизь на дыхательном отверстии?
Deem Опубликовано 29 сентября, 2024 Автор #376 Опубликовано 29 сентября, 2024 @Ильяна, смотрел, промакивал ватной палочкой – слизи нет; звуки, кажется, из трахеи.
Zosia Опубликовано 30 сентября, 2024 #377 Опубликовано 30 сентября, 2024 Пока понятно,что все непонятно. Ампульный ГК- подкожно колоть 5-6 дней. Из арсчета 0,2 мл на 100 гр веса в сутки. Если есть ветеринарная форма Боргюконат- то в 2 раза меньше. Дексаметазон как противоотечное- 3 суток, дозировка от 4 до 6 мг на килограмм (не спутайте), внутримышечно. Препарат в данном случае скоропомощной, не лекарственный. Капли для кошек на основе мегестрола ацетата, орально, дозировка по МА- 5 мг на кг. Это- для прекращения овуляции. Немеденного действия не имеет. Использовать тоько при достижении устойчивого состояния. Курс 12-14 дней раз в 3 месяца.
ната1805 Опубликовано 30 сентября, 2024 #378 Опубликовано 30 сентября, 2024 4 часа назад, Zosia сказал: дозировка от 4 до 6 мг на килограмм (не спутайте да, тут некоторые путают мг и мл...
Deem Опубликовано 30 сентября, 2024 Автор #379 Опубликовано 30 сентября, 2024 Сегодня желчь пошла, но помёта практически нет – в основном вода. Продолжаю колоть Глюкозу, Кальция глюконат. Дексаметазон пока колоть не буду, это – на крайний случай т.к. средство иммунодепрессивное, а голубка и так слаба; вколю если вдруг вчерашний приступ повторится. 22 часа назад, маленький принц сказал: 22 часа назад, ната1805 сказал: @Deem Живот сейчас не увеличен у голубки? живот у птиц между килем и попой Вот её живот: Помёт за ночь: Помёт днём:
Deem Опубликовано 3 октября, 2024 Автор #380 Опубликовано 3 октября, 2024 (изменено) @маленький принц @Ильяна @ната1805 @Zosia @Анна1972 @Физкульт-привет! @Cabrera Вчера сделали рентген голубке в городе. Если всё пойдёт хорошо, сегодня выложу снимки, но качество у них не очень – делал не специалист. После вчерашней 4-х часовой поездки на общественном транспорте (в первой клинике не оказалось цифрового рентгена, пришлось ехать ещё дальше), Пятачку стало хуже: у неё очень болит правая сторона, она даже правое крыло голубка держит более опущенным и на правую лапу совсем не сановится – держит её немного назад и в бок, на весу; помёта сегодня вообще небыло, хотя вчера худо-бедно но пара крошечных кучек с водой была; сейчас стоит нахохлившись, есть даже не пытается, хотя вчера утром немного ковырялась в просо. Утром осмотрел её живот ещё раз: всётаки у голубки живот больше чем у голубя, и правая сторона её живота увеличена, по сравнению с левой... Вес голубки упал до 235 грамм... Изменено 3 октября, 2024 пользователем Deem
маленький принц Опубликовано 3 октября, 2024 #381 Опубликовано 3 октября, 2024 Нужно показать рентген Зосе
Анна1972 Опубликовано 3 октября, 2024 #382 Опубликовано 3 октября, 2024 @Deem может Вам голубку пока перевести на запаренное зерно и кормить принудительно ? Гречка зеленая и полба быстро запариваются и становятся мягкими . Давать пальцами такое зерно конечно не очень удобно , но возможно . Я где то читала что много проса нельзя давать . А Вам нужно сейчас как то птицу поддержать сейчас. Много скармливать , до полного зоба не нужно , лучше чаще кормить. 1 ч.л. сухого зерна запарьте, остудите и скормите , проконтролируйте за сколько зоб освободится . Не удивлюсь если ренген покажет яйцо или какое то образование связанное с системой продолжения рода . Повторюсь что у меня птица перед яйцекладками плохо себя чувствовала. После последней яйцекладки в мае она весила 270 грамм, а сейчас набрала вес до 320 грамм. Яйца она больше не несёт из-за гипертрофированного яйцевода. Бедные девочки . От души желаю здоровья Вашей голубке ! 1
Deem Опубликовано 3 октября, 2024 Автор #383 Опубликовано 3 октября, 2024 (изменено) @маленький принц @Ильяна @ната1805 @Zosia @Анна1972 @Физкульт-привет! @Cabrera Это несколько сжатые конверсии в ".png", т.к. форум не принимает ".dcm" медицинского стандарта DICOM. Изменено 3 октября, 2024 пользователем Deem
Deem Опубликовано 3 октября, 2024 Автор #384 Опубликовано 3 октября, 2024 (изменено) Совсем плохо голубке: ходить почти не может, на жёрдочку запрыгнуть тоже, иногда заваливается на правую сторону, помёта весь день нет – всего несколько маленьких лужиц мутной грязно-жёлтой слизи с уратами... По глазам видно, что ей очень больно; не знаю как ей помочь... что делать? Изменено 3 октября, 2024 пользователем Deem
Deem Опубликовано 3 октября, 2024 Автор #385 Опубликовано 3 октября, 2024 (изменено) Пятачку очень плохо, не стоит, не может спать, ползает по клетке, мучают боли... КАК ЕЙ ПОМОЧЬ? ЧТО МОЖНО СДЕЛАТЬ? ХОТЬ ЧТО-ТО? Хоть анестетик вколоть? Если допустить что это воспаление органа в животе, может вколоть Дексаметазон, чтобы его уменьшить? ЧЕМ ЕЙ ПОМОЧЬ СЕЙЧАС??? @маленький принц @Zosia@Cabrera@Анна1972 @Budgiek@ната1805 @ElizavetaO@Destruct@ГалинаМи @slavatvp@Ильяна @alextula @Физкульт-привет! Изменено 3 октября, 2024 пользователем Deem
Анна1972 Опубликовано 3 октября, 2024 #386 Опубликовано 3 октября, 2024 @Deem как Вы там ? Мелоксикам обезбол дозировка от врача Чугуевского Мелоксикам в ампулах 10 мг на мл. Аптека. Берем из ампулы 0,1 мл и к нему добавляем 0,9 мл физраствор и из полученного в клюв капельно на птицу весом 300 гр 0,3 мл за раз, 2 раза в день, в течение 15 и более дней. Каждый раз делаем свежий раствор. Остатки ампулы в шприц и хранить в холодильнике 7 дней используя для дальнейшего разведения. 2
маленький принц Опубликовано 4 октября, 2024 #387 Опубликовано 4 октября, 2024 12 часов назад, Deem сказал: @маленький принц @Ильяна @ната1805 @Zosia @Анна1972 @Физкульт-привет! @Cabrera Это несколько сжатые конверсии в ".png", т.к. форум не принимает ".dcm" медицинского стандарта DICOM. форум сжимает картинки и потому нужно не одной картинкой всё а разными картинками 9 часов назад, Deem сказал: помёта весь день нет – всего несколько маленьких лужиц мутной грязно-жёлтой слизи с уратами... фото?
Deem Опубликовано 4 октября, 2024 Автор #388 Опубликовано 4 октября, 2024 (изменено) 52 минуты назад, маленький принц сказал: потому нужно не одной картинкой всё а разными картинками @маленький принц Ну так это 4 разные картинки... или разбивать каждую проекцию на череду картинок??? 52 минуты назад, маленький принц сказал: фото? Сегодня за ночь помёта небыло совсем! Ни капли, даже воды или слизи!!! Вот ВЧЕРАШНЕЕ фото: @Анна1972 Сейчас голубка лежит, ни стоять ни даже ползать не может, дыхание учащённое, видно что ей очень плохо! Пришлось отсадить голубя, т.к. он возмущён и требует от Пятачка внимания. Сделал фото голубки, хотя сути оно не отражает... Изменено 4 октября, 2024 пользователем Deem
маленький принц Опубликовано 4 октября, 2024 #390 Опубликовано 4 октября, 2024 59 минут назад, Deem сказал: Всё... Что случилось?
ната1805 Опубликовано 4 октября, 2024 #391 Опубликовано 4 октября, 2024 @Deem ну это ожидаемое-я же выше вам писала что у вас скорее всего-и это лишь подтвердилось Бедные самочки-сколько же таких несчастных мучается.... Если куски выходят с помета-как выше писали-ЭТО ВСЕГДА 100 проц смерть Спи спокойно, Пятачок, отмучилась... 1
Физкульт-привет! Опубликовано 4 октября, 2024 #392 Опубликовано 4 октября, 2024 @ната1805, у меня на подоконнике из подкармливаемых 7-8 пар с прошлой зимы сменились все голубки. Смотреть на это очень грустно. Привязывюсь именно к голубкам, а они одна за одной пропадают, сначала самцы становятся одиночками и достаточно долго прилетают одни, а позже вижу с ними других голубок. 3
ната1805 Опубликовано 4 октября, 2024 #393 Опубликовано 4 октября, 2024 @Физкульт-привет! У меня было так-была молодая любимая голубка, дура что я ее выпустила на волю-сейчас бы в голубятне жила. Полуручная, с моим самцом в паре была-год прожила на воле-каждый день на выступ балкона прилетала и все через год-резко исчезла-самец потом один так и остался-три года на воле живет У них то желточные перитониты у этих голубок то кисты.... желточные перитониты я изучала вопрос часто от нехватки витамина А, Д и Е НО у меня в голубятне этот витамин А так едят-за ушами морковь скрепит-едят ВСЕ! АААА...и от нехватки кальция еще... 2
Анна1972 Опубликовано 4 октября, 2024 #394 Опубликовано 4 октября, 2024 @Deem очень Вам сочувствую ...мягких облачков Пятачку 🙏 1
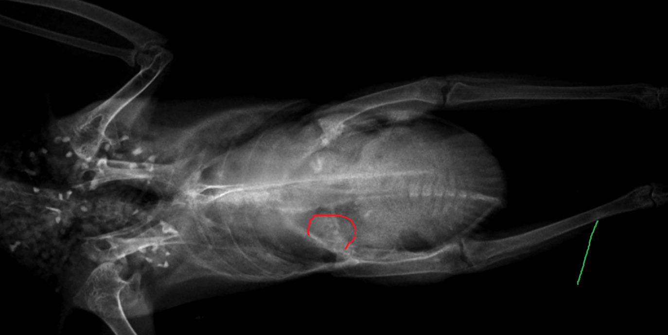
Zosia Опубликовано 4 октября, 2024 #395 Опубликовано 4 октября, 2024 Птицу даль. По снимку- 1.Почки окружены фибриновой капсулой, что говорит о длительном воспалении В ОКРУЖАЮЩИХ тканях. Капсула толстая. Отмечено оранжевой линией. 2.Множество кист или фолликул на стадии формирования яйца, различного размера, не имеющих ровной поверхности- что говорит так же о наличии хронического воспалительного процесса и откладывания фибрина (или гиалина) на поверхности и, вероятно,пропитывании объектов. Отмечены голубым. 3.Смещен мускульный желудок, видимо этими кистами.Отмечен красным. 4.Печень так же под физическим воздействием кист (по типу краш-синдрома) Дистальный край отмечень желтым. 5.На правой лапе- следы неравномерной плотности костных тканей- возможно перелом, старый или патологический. Отмечен зеленым. Так же отмечается неравномерная плотность трубчатых костей крыльев. Почти наверняка на вскрытии возможно обнаружить хроническое воспаление , с тяжами, органов брюшной полости. Пликистоз с фиброзом яичника, фиброзом почет (почек). Причина- первичные гормональные нарушения (есть ли опухоль- только на вскрытии можно увидеть), с присоединившейся инфекцией на основе УПБ. Возможен ателектаз легких, или фиброз легких (на снимке не могу достоверно это сказать). Возможность выживания- на данной стадии невозможно. Принципиально- да, при проведении гормональной терапии, направленной на полное прекращение овуляции. Отмечу, что таковая терапия не всегда успешна (проводится мегестролом ацетатом с параллельным использованием ГКС, постоянными курсами, или ведением раз в 8 месяцев супрелорина подкожно). 4
ната1805 Опубликовано 4 октября, 2024 #396 Опубликовано 4 октября, 2024 @Zosia Уважаемая доктор, хотела уточнить такой вопрос-желточный перитонит, когда у самок разрывается фалликул яичника, этов сегда смерть? и правда ли это-что часто возникает при нехватке витамина а, витамина д и кальция и малоподвижности голубки? просто у моих знакомых дома было две голубки, и у обоих по симптомам был этот перитонит и выходили как кусочки мяса из клоаки и потом они все умирали быстро -отекало брюшко при этом 1
ната1805 Опубликовано 4 октября, 2024 #397 Опубликовано 4 октября, 2024 @Zosia И еще в научных статьях пишут-что еще причины есть такие-как воспаление и инфекции, то есть любое воспаление и любая инфекция может привести к разрыву фолликулов? 1
ната1805 Опубликовано 4 октября, 2024 #398 Опубликовано 4 октября, 2024 Так же в статьях пишут-что сочные корма обязательно должны быть в рационе птицы-чтоб эти витамины присутствовали, у меня вот допустим в рационе голубином морковь и иногда яблоко, но некоторые голуби ОЧЕНЬ много могут моркови сьесть-и я их ограничиваю-нельзя же вволю есть морковь ? все таки это же не корова а птица... 1
Deem Опубликовано 4 октября, 2024 Автор #399 Опубликовано 4 октября, 2024 (изменено) Рыжий всё не может уснуть, очень беспокоится что Пятачка больше нет: весь день ждал её, допоздна в домик не шёл, и теперь ищет её в темноте... Вместе они провели больше трёх лет, Рыжему было меньше года, когда они познакомились... @ната1805 эх, написал бы мне кто про это в начале сентября, когда у Пятачка только проявились эти симптомы, возможно ещё был бы шанс... и нужно было сразу ехать в город искать ветклинику с рентгеном, а не ждать что местный быстро починят... Пятачок очень любила мел, возможно он у неё плохо усваивался, ещё вчера съела чуть-чуть, хоть и отказывалась даже от воды... последний месяц она часто лежала на подоконнике в солнечные дни, расправив крылышки, наверное для усвоения кальция нехватало витамина D, видимо в витаминах UNITABS его было недостаточно. Ещё почему-то пыталась съесть рулончик туалетной бумаги... Так пусто стало без Пятачка... Спасибо всем кто помогал. Теперь эта тема только про Рыжего. Изменено 4 октября, 2024 пользователем Deem 5
ната1805 Опубликовано 4 октября, 2024 #400 Опубликовано 4 октября, 2024 @Deem Эх...не травите душу так сказать-у самой в голубятне живут парами-я все переживаю за голубок-не дай бог что не так-у них же бывают проблемы с яйцекладками, я потом стала смотреть литературу-в основном сводится к тому-что часто эти паталогии связаны с витаминной недостаточностью А голубка у вас очень красивая была и фото вместе где они замечательные 4
маленький принц Опубликовано 6 октября, 2024 #401 Опубликовано 6 октября, 2024 крайне жалко Пятачка! В 04.10.2024 в 23:38, Deem сказал: Рыжий всё не может уснуть, очень беспокоится что Пятачка больше нет: весь день ждал её, допоздна в домик не шёл, и теперь ищет её в темноте... Вместе они провели больше трёх лет, Рыжему было меньше года, когда они познакомились... 1
Deem Опубликовано 9 октября, 2024 Автор #402 Опубликовано 9 октября, 2024 (изменено) @маленький принц @ната1805 @Zosia @Анна1972 @Физкульт-привет! @Ильяна Что может значить появление чёрных пятен на перьях? Я уже писал про пятна на перьях у Рыжего, но никто не ответил: В 23.01.2024 в 14:55, Deem сказал: пятна на перьях такого рода (это самое большое, другие совсем маленькие): Таких пятен прям много уже. Очень много маленьких чёрных пятнышек, чёрточек, потемнений, особенно на новых перьях. Уже не помню как давно это появилось, но 3 года назад точно не было. За это время и окрас перьев стал тусклее, в смысле несколько темнее и менее насыщенным. Это нехватка чего-то или ещё одно заболевание? Серу вроде давал, курс витаминов и кальция летом был... возможно не достаточно? На всякий случай уточню что пятна не счищаются и не отмываются. Изменено 9 октября, 2024 пользователем Deem
маленький принц Опубликовано 9 октября, 2024 #403 Опубликовано 9 октября, 2024 нужно спросить у @Zosia чем кормите? пожалуйста подробно
Deem Опубликовано 9 октября, 2024 Автор #404 Опубликовано 9 октября, 2024 (изменено) @маленький принц 2 часа назад, маленький принц сказал: чем кормите? пожалуйста подробно Где-то с конца весны и сейчас – пшеничная дроблёнка как основа + готовая смесь для канареек и щеголей (купил за неимением лучшего и из-за разнообразия компонентов; состав: просо красное, желтое и чёроное, канареечное семя, семена льна, овёс голозёрный, семена чиа, кунжут, семена суданской травы, конопляное семя, семена луговых трав, семена тимофеевки, райграс, семена клевера, пшеница) + ячменная дроблёнка + иногда рапс, смесь "для пения" от РИО (состав: нуг абиссинский, канареечник, рапс, лён, конопляное семя, просо белое, фенхель, хлебопекарные продукты, кунжут, мак, анис, глюконат кальция). Ест не всё, выбирает что повкуснее. Ещё, несколько месяцев как Рыжий очень полюбил хлеб на горчичном масле. Однажды нашёл и попробовал и теперь очень выпрашивает, когда увидит, прям запрыгивает на стол/руки/голову. Понимаю что не полезно, но всё-же иногда даю немного мякиша... Подробно вспомнить чем кормил за все 3 года вряд ли смогу. Помню раньше давал довольно много семян подсолнуха, но примерно с начала года Рыжий потерял к ним интерес. Когда нестало Пятачка, Рыжий начал терять аппетит: сейчас ест довольно мало, в основном вкусное, помёта за ночь тоже как-то мало. Сегодня утром прям "голодный помёт". Сейчас немного поел, посмотрю как будет дальше. Изменено 9 октября, 2024 пользователем Deem
Физкульт-привет! Опубликовано 9 октября, 2024 #405 Опубликовано 9 октября, 2024 (изменено) 49 минут назад, Deem сказал: Понимаю что не полезно, но всё-же иногда даю немного мякиша... Я своим инвалидам тоже даю что-то повкуснее, что не отличается пользой. Какой интерес не получать ничего от жизни. Хоть проживёт с моментами радости, пусть не так долго. Изменено 9 октября, 2024 пользователем Физкульт-привет!
Рекомендуемые сообщения
Для публикации сообщений создайте учётную запись или авторизуйтесь
Вы должны быть пользователем, чтобы оставить комментарий
Создать аккаунт
Зарегистрируйте новый аккаунт в нашем сообществе. Это очень просто!
Регистрация нового пользователяВойти
Уже есть аккаунт? Войти в систему.
Войти