Перейти к содержанию
Место для вашей рекламы

 

Помогите расшифровать рентген уже мертвой птицы


Рекомендуемые сообщения

Опубликовано

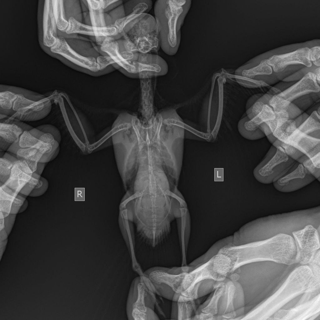
Здравствуйте, подскажите пожалуйста, знающие люди по рентгену и анализам что могло быть с птичкой? Умерла пару дней назад...

1. Корелла

2. 5 лет, самка

3. Корм Рио для средних попугаев, веточный корм, различные семена (тыквы, расторопша итд), каши, пророст, мелок, сепия, фильтрованая вода.

4. Всю жизнь на свободном выгуле, температура 23 градуса в квартире, влажность около 33, 

5. Птица ощипывала себя , пищит при этом, подергивает крыльями в последнее время, помет в норме и никогда не менялся, оперение стало без пудры птичьей (намокает сразу) + некоторые перья стали взьерошенными и скомканные (на грудке) 

photo_2024-11-26_14-44-02.jpg

photo_2024-11-26_14-43-48.jpg

photo_2024-11-26_14-43-32.jpg

photo_2024-11-27_21-42-26.jpg

photo_2024-11-27_21-42-25.jpg

  • 2 недели спустя...
Опубликовано

У птицы сочетанная респираторная инфекция, скорее всего застарелая )т.к. легкие хоть и с признаками поражения, но умеренно, возможно есть фиброз, особенно справа).

Высокий уровень обычной условно-патогенной флоры (10*6) скорее всего связяан с наличием микоплазменной инфекции (коморбидное инфекционное давление)

Печень увеличена, имеет неровную дорсальную поверхность, целомическая поость уменьшена. Возможно имеется НО (может кисты) яичника или почки...

Вскрытие надо делать.

 

Уровень патогенов (по анализу) сам по себе не мог привести к смерти.

 

Для публикации сообщений создайте учётную запись или авторизуйтесь

Вы должны быть пользователем, чтобы оставить комментарий

Создать аккаунт

Зарегистрируйте новый аккаунт в нашем сообществе. Это очень просто!

Регистрация нового пользователя

Войти

Уже есть аккаунт? Войти в систему.

Войти
  • Последние посетители   0 пользователей онлайн

    • Ни одного зарегистрированного пользователя не просматривает данную страницу

×
×
  • Создать...
© MyBirds.ru, 2003 - 2026

Все материалы данного сайта, в том числе структура расположения информации и графическое оформление (дизайн), являются объектами авторского права. Копирование информации на сторонние ресурсы и сайты сети Интернет, а также любое иное использование материалов сайта без предварительного согласия правообладателя НЕ ДОПУСКАЕТСЯ.

При копировании материалов сайта (в случае получения согласия правообладателя), размещение активной индексируемой гиперссылки на сайт обязательно.