Перейти к содержанию
Место для вашей рекламы

 

Вывих крыла и неоплазия


Рекомендуемые сообщения

Опубликовано

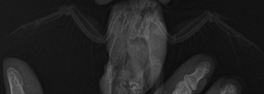
Помогите пожалуйста разобраться, птицу купили 2 недели назад, писала тут, что он не может летать, поняли это когда впервые попробовали выпустить. Сегодня дождались записи ветеринара, он посмотрел птицу, сделал снимок, сказал, что это вывих. Описание снимка сказали подождать, будет после того, как специалист из другого города опишет. В итоге вечером мне прислали описание снимка, прилагаю текст и теперь я совсем не понимаю. Там и травма и но образование. В ветеринарной клинике, где мы были молчат, больше никаких консультаций не дали мне. Можно ли что-то понять по приложенному сниму и описанию? Я верно понимаю, что дело не только в вывихе, а по снимку обнаружена какая-то опухоль? 

IMG-20240922-WA0020.jpg

Screenshot_20240922_195734_com_whatsapp_Conversation.jpg

Screenshot_20240922_195414_com_whatsapp_Conversation.jpg

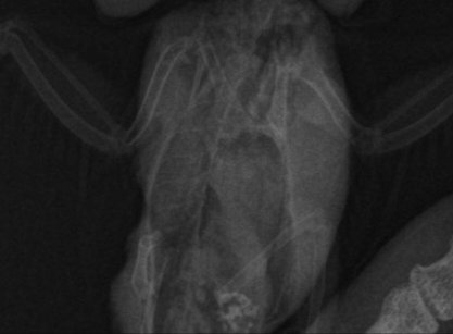
IMG-20240922-WA0020.jpg

Опубликовано

Отдельно,крупно,четко (фотошоп вам в помощь)- снимок.

 

 

Для публикации сообщений создайте учётную запись или авторизуйтесь

Вы должны быть пользователем, чтобы оставить комментарий

Создать аккаунт

Зарегистрируйте новый аккаунт в нашем сообществе. Это очень просто!

Регистрация нового пользователя

Войти

Уже есть аккаунт? Войти в систему.

Войти
  • Последние посетители   0 пользователей онлайн

    • Ни одного зарегистрированного пользователя не просматривает данную страницу

×
×
  • Создать...
© MyBirds.ru, 2003 - 2025

Все материалы данного сайта, в том числе структура расположения информации и графическое оформление (дизайн), являются объектами авторского права. Копирование информации на сторонние ресурсы и сайты сети Интернет, а также любое иное использование материалов сайта без предварительного согласия правообладателя НЕ ДОПУСКАЕТСЯ.

При копировании материалов сайта (в случае получения согласия правообладателя), размещение активной индексируемой гиперссылки на сайт обязательно.