Перейти к содержанию
Место для вашей рекламы

 

Нелётная чайка без переломов


Рекомендуемые сообщения

Опубликовано

Доброго дня всем! 

 

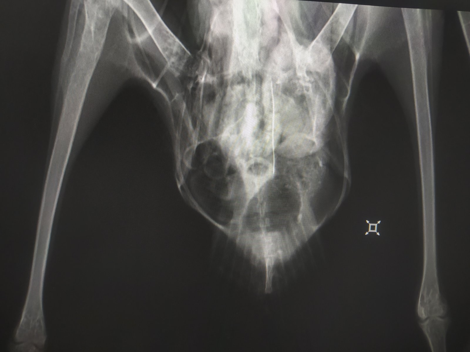
Четрые дня назад на участке нашла птицу, убегает, клюется, самостоятельно ест и пьет. В первый день была покормлена 2 варёными яйцами, все остальные дни только размороженная рыба. Днём гуляет по участку, на ночь убираю в картонную коробку. Думаю это серебристая или средиземноморская чайка. Вес около двух кг. На рентгене переломов не замечено

Подскажите пожалуйста, что с ней может быть не так?

 

 

IMG_20220526_140952.jpg

IMG_20220526_141019.jpg

IMG_20220526_141038.jpg

IMG_20220526_141100.jpg

IMG_20220526_141103.jpg

IMG_20220526_141121.jpg

IMG_20220526_141125.jpg

Опубликовано (изменено)

Я не спец)) но предпологаю, что

может ударилась им и теперь бережёт, болит. Не просто так оно висит же, или вывих какой, но если были в больнице, Вам бы наверное определили его, птицу щупали? 

У меня ворон также крыло держит, но у него был перелом, врач не с первого раза даже увидел

Изменено пользователем rlj13
Опубликовано

По чайкам тоже не спец. Но левое крыло не рабочее.от слова совсем.

Опубликовано

Короче, с костями птицы все было нормально, оба крыла рабочие, но.. Вот эта вот крохотная металлическая проволока проигнорированная мной на рентгене как артефакт её и убила(

Распорот кишечник, гнойный перетонит, тромб в сердце (скорее всего посмертный)

IMG_20220526_201758.jpg

IMG_20220526_180202.jpg

Для публикации сообщений создайте учётную запись или авторизуйтесь

Вы должны быть пользователем, чтобы оставить комментарий

Создать аккаунт

Зарегистрируйте новый аккаунт в нашем сообществе. Это очень просто!

Регистрация нового пользователя

Войти

Уже есть аккаунт? Войти в систему.

Войти
  • Последние посетители   0 пользователей онлайн

    • Ни одного зарегистрированного пользователя не просматривает данную страницу

×
×
  • Создать...
бонус за депозит в букмекерской конторе
© MyBirds.ru, 2003 - 2025

Все материалы данного сайта, в том числе структура расположения информации и графическое оформление (дизайн), являются объектами авторского права. Копирование информации на сторонние ресурсы и сайты сети Интернет, а также любое иное использование материалов сайта без предварительного согласия правообладателя НЕ ДОПУСКАЕТСЯ.

При копировании материалов сайта (в случае получения согласия правообладателя), размещение активной индексируемой гиперссылки на сайт обязательно.