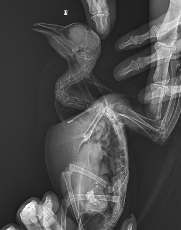
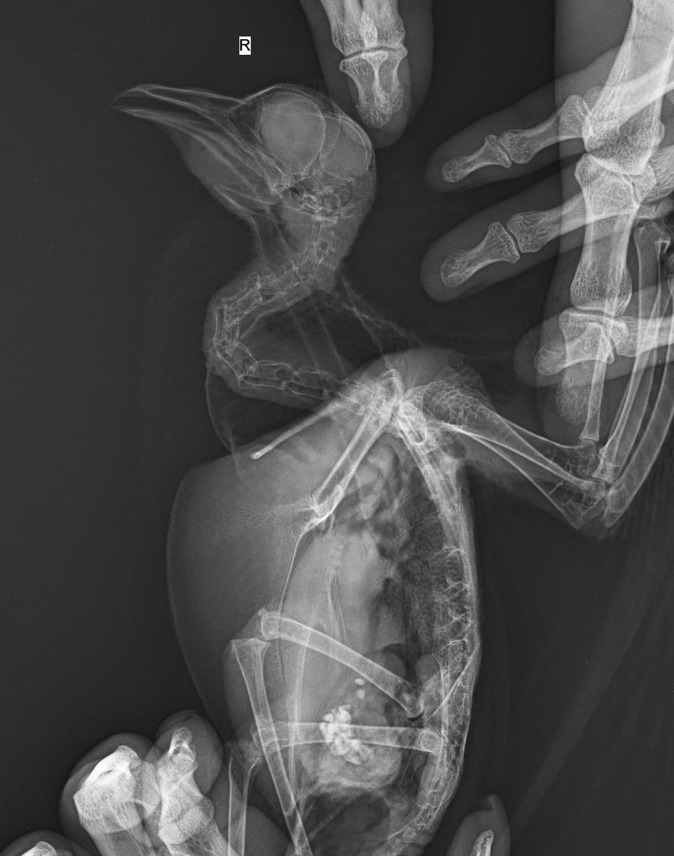
Appleness Опубликовано 28 января, 2022 Автор #46 Опубликовано 28 января, 2022 (изменено) @маленький принц сегодня в 13:30 идем ко врачу, он поставит диагноз и назначит лечение. 8:00 покормила кашей из шприца, перья немного почистила, помет все тот-же ярко-темно-зеленый, без крови рассмотрела сегодня горло, там совсем маленькая дырочка для глотания, ему тяжело глотать большие объемы @маленький принц я понимаю, что вы хотите помочь, но тут несколько врачей, все пишут разное, я не понимаю кого мне слушать. На приеме спрошу сегодня про орнидазол и метрогил. @OFA @Zosia можете рентген посмотреть, я так и не поняла, можно по нему как-то диагноз ставить или хотя бы что-то исключить? У меня получилось рассмотреть рот У него есть язык, но он скрыт под чем-то непонятным. Это или опухоль, или киста, или что-то еще. у этого чего-то есть темное пятно, но в целом оно светлое, размеров с шарик около 5мм. Именно это образование мешает глотать, и не дает проникнуть в горло ватной палочкой. Во рту слизи нет. попробую его покормить инсулиновым шприцом, справа(со стороны голубя ) рта есть доступ к горлу, слева этот шарик Изменено 28 января, 2022 пользователем Appleness
Appleness Опубликовано 28 января, 2022 Автор #47 Опубликовано 28 января, 2022 (изменено) 8:45 получилось! инсулиновый шприц вставила в горло (в голубе был только кончик шприца, толстая часть снаружи). раньше я просто наливала в рот жидкую кашу, много разбрызгивалось. сейчас получается всю кашу ввести в голубя. и поэтому кашу я сделала уже более густую. когда он глотает я слышу звук, описать мне его сложно я его и раньше слышала, но не предполагала, что это с глотанием связано Изменено 28 января, 2022 пользователем Appleness
маленький принц Опубликовано 28 января, 2022 #48 Опубликовано 28 января, 2022 1 час назад, Appleness сказал: У него есть язык, но он скрыт под чем-то непонятным. Это или опухоль, или киста, или что-то еще. у этого чего-то есть темное пятно, но в целом оно светлое, размеров с шарик около 5мм. Именно это образование мешает глотать, и не дает проникнуть в горло ватной палочкой. это и есть нарост можете сделать фото и СРОЧНО начать лечение читайте про трихоминоз https://www.mybirds.ru/forums/topic/65174-trihomonoz/ 1 час назад, Appleness сказал: @Zosia можете рентген посмотреть, я так и не поняла, можно по нему как-то диагноз ставить или хотя бы что-то исключить? рентген у Вас получился просто идеальный если Зося на нём что-то заметила бы она бы написала 41 минуту назад, Appleness сказал: 8:45 получилось! инсулиновый шприц вставила в горло (в голубе был только кончик шприца, толстая часть снаружи). раньше я просто наливала в рот жидкую кашу, много разбрызгивалось. сейчас получается всю кашу ввести в голубя. и поэтому кашу я сделала уже более густую. через три часа после кормёжки нужно фото помёта кончик шприца перед кормлением смазать снаружи Метрогил-дента
Appleness Опубликовано 28 января, 2022 Автор #49 Опубликовано 28 января, 2022 @маленький принц фото не получается, но это образование не твердо и не желтое и не похоже на картинки из интернета. я понимаю, что СРОЧНО, но у нас через 3 часа уже прием у нового врача. все лечение , что он назначит, я дам голубю незамедлительно! я надеюсь, это этот врач будет нормальным, потому что когда меня записывали и консультировали по телефону, то сказали, что они часто лечат уличных голубей, им это знакомо около 10:00 еще раз покормила, почистила смоченной ватной палочкой перья, лапы помыла от помета помет регулярный, такой же как и был раньше, крови уже сутки нет
Appleness Опубликовано 28 января, 2022 Автор #50 Опубликовано 28 января, 2022 сейчас помет такой (примерно столько убираю раз в пару часов) он такой с ночи, но за ночь было в 3 раза больше
Шер Ами Опубликовано 28 января, 2022 #51 Опубликовано 28 января, 2022 Нужно начать давать орнидазол. Вам ОФА и Зося это написали.
маленький принц Опубликовано 28 января, 2022 #53 Опубликовано 28 января, 2022 начинайте дозировки надо чтобы посмотрела @OFA
Appleness Опубликовано 28 января, 2022 Автор #54 Опубликовано 28 января, 2022 Голубя прооперировали, удалили образование во рту, лечение назначили Сейчас голубь в коробке, я заказываю лекарства 3. @маленький принц помогите, пожалуйста, с лекарствами такой можно? буду разводить в 2,5 мл, а не в 5 как в рецепте для 250 мг
Шер Ами Опубликовано 28 января, 2022 #55 Опубликовано 28 января, 2022 Дозировка флуконазола неверная. Очень маленькая.
Appleness Опубликовано 28 января, 2022 Автор #56 Опубликовано 28 января, 2022 4. в рецепте нет дозировки, такой подойдет?
Appleness Опубликовано 28 января, 2022 Автор #58 Опубликовано 28 января, 2022 @OFA что скажете про дозировку флуконазола?
Шер Ами Опубликовано 28 января, 2022 #59 Опубликовано 28 января, 2022 Дозировку на орнидазол возмите ту, что ОФА вам ранее писала.
Appleness Опубликовано 28 января, 2022 Автор #60 Опубликовано 28 января, 2022 (изменено) мелоксикам мне выдали в клинике уже в шприце @Шер Ами орнидазола нет в списке, вдруг он не совместим с назначенными лекарствами ушла за этими лекарствами Изменено 28 января, 2022 пользователем Appleness
ГалинаМи Опубликовано 28 января, 2022 #61 Опубликовано 28 января, 2022 15 минут назад, Appleness сказал: орнидазола нет в списке Вместо орнидазола у Вас метрогил, это от трихомоноза. Начинайте прям сразу с метрогила (как вернётесь из аптеки ?), от него должно полегчать голубю уже через 2-3 дня. Прошу прощения, что влезда в тему) 2
Appleness Опубликовано 28 января, 2022 Автор #62 Опубликовано 28 января, 2022 @ГалинаМи спасибо! вернулась, сейчас разберусь как и что разводить и дам ему все 3 лекарства по очереди, после этого 10 мл каши
ГалинаМи Опубликовано 28 января, 2022 #63 Опубликовано 28 января, 2022 (изменено) @Appleness антигрибковое обычно дают за 40 мин до еды, нужно уточнить про Флуконазол. Амоксиклав с едой или сразу после нее. Метрогил можно сразу. @маленький принц помогите пожалуйста с последовательностью лекарств. И вроде бы метрогил с антибиотиком без интервала времени не стоит давать, тут точно не знаю. Изменено 28 января, 2022 пользователем ГалинаМи
Appleness Опубликовано 28 января, 2022 Автор #64 Опубликовано 28 января, 2022 амоксиклав купила другой, нашла в таблетках по 250, как в назначении пока никто не написал про последовательность, сегодня дам по порядку в назначении, один на одним амоксиклав - метрогил - 10 мл каши при следующем кормлении дам обезболивающее и жду дозировку флуканазола
маленький принц Опубликовано 28 января, 2022 #65 Опубликовано 28 января, 2022 до ответа @OFA дозировку флукуназола возьмите как Вам ветеринар написала то есть растворив одну капсулу в 5 мл воды давать птице по 0.12 мл
Appleness Опубликовано 28 января, 2022 Автор #66 Опубликовано 28 января, 2022 @маленький принц 16:30 я пока дала амоксиклав и метрогил + 10 мл каши, через трубку около 18:30 буду кормить еще и тогда дам флуканазол и мелоксикам все лекарства даю до еды, как рекомендовал врач (он сказал, что так просто удобнее) если знаете как давать эффективнее, то пишите, буду давать как скажете!
маленький принц Опубликовано 28 января, 2022 #67 Опубликовано 28 января, 2022 помёт желтит поищите в аптеке таблетки из Растаропши например от БиоКор
Шер Ами Опубликовано 28 января, 2022 #68 Опубликовано 28 января, 2022 Амоксиклав /таб. 250 мг./ развести в 5 мл. воды, в клюв по 0,5 мл. два раза в день. Есть ещё и др. дозировка на амоксиклав /250 мг./ расстворить в 3 мл. воды, в клюв по 0,5 мл. жва раза в день. Я незнаю какая дозировка лутше. ОФА подкоректирует если что. Флуконазол /50 мг./ капсулу развести в 5 мл. воды, в клюв по 0,3 мл. два раза в день. Расствор хранится в холодильнике не более двух суток. Перед употреблением хорошо взболтать.
ГалинаМи Опубликовано 28 января, 2022 #69 Опубликовано 28 января, 2022 1 час назад, Appleness сказал: если знаете как давать эффективнее @Appleness пожалуйста, прислушивайтесь к мнению модераторов, например OFA. Вам от начала темы кричат, не могут докричаться, что у голубя трихомоноз и срочно нужен метронидазол (он же метрогил). Трихомонозные наросты распространяются стремительно, из-за них голубь не может есть и кровь в помете. Метрогил у Вас основное лекарство, его прием не привязан к еде. Я предполагаю, что метрогил не нужно давать одновременно с амоксиклавом, без интервала времени между ними, потому что в смешении они убивают печень: (из инструкции к метронидазолу) 1
маленький принц Опубликовано 28 января, 2022 #70 Опубликовано 28 января, 2022 для печени нужны таблетки из растапропши если их не найдёте в аптеке то купите кошачий Гепатовет в ветеринарке Цитата 12.08.2019 в 00:49, Raina сказал: Гепатовет (0, 1 мл на каждые 100 гр) 2 раза в день
Appleness Опубликовано 28 января, 2022 Автор #71 Опубликовано 28 января, 2022 @ГалинаМи я прислушиваюсь ко всем, но до визита к врачу не лечила потому что осмотр важен, без него назначения дают на основании моих рассказов о голубе, а я могу напутать. Сейчас назначено лечение, ни вижу, чтобы оно кото-то не устраивало. По поводу дозировок дискуссию вызвал только флуканалоз, хорошо, я буду давать по 0,3 с завтрашнего дня. Сегодня уже лала 0,12 @OFA По поводу когда давать мне нужна помощь: я буду его кормить 6 раз в день. Помогите составить план по кормлениям так, чтобы это было эффективно. Надо как-то распределить 2 амоксиклав, 2 метрогил, 1 флуканалоз и мелоксикам - как раз 6. Расскажите, пожалуйста, до или после и как распределить.
маленький принц Опубликовано 28 января, 2022 #72 Опубликовано 28 января, 2022 23 минуты назад, Appleness сказал: Сейчас назначено лечение, ни вижу, чтобы оно кото-то не устраивало. не хватает лекарства для печени судя по жёлтому цвету помёта
Шер Ами Опубликовано 28 января, 2022 #73 Опубликовано 28 января, 2022 А зачем 6 раз в день кормить? Достаточно два или три рза в день до полного зоба. Следующее кормление по мере опустошения зоба. С метрогилом тоже непонятно? У Чеширского 1,5 мл. два раза в день. У Зоси 5 мг. на 100 гр. веса два или три раза в день. А ваш врачь назначил по 0,4 мл.? Это очень маленькая дозировка, что такой дозировкой можно вылечить? Кстати метрогил и орнидазол это одно и тоже лекарство по действию. И орнидазол тоже есть в жидком виде как и метрогил.
ElizavetaO Опубликовано 28 января, 2022 #74 Опубликовано 28 января, 2022 1 час назад, ГалинаМи сказал: @Appleness пожалуйста, прислушивайтесь к мнению модераторов, например OFA. 44 минуты назад, Appleness сказал: я прислушиваюсь ко всем @Appleness , не повторяйте ту ошибку, которую здесь многие совершают. Я в другой теме писала Вам то же самое: прислушиваться следует к рекомендациям @Zosia и @OFA. К рекомендациям остальных лишь в вопросах, которые не связаны с основным направлением лечения. Роль остальных - помогать им, а не назначать лечение.
Appleness Опубликовано 28 января, 2022 Автор #75 Опубликовано 28 января, 2022 @Шер Ами 6 раз сказал врач, который сегодня оперировал голубя @ElizavetaO прислушиваться не в смысле сразу исполнять Голубь накормлен, в тепле, лечение начато, буду следить за пометом! @маленький принц может фотка такая, я не замечала раньше желтого, буду сейчас следить 1
маленький принц Опубликовано 28 января, 2022 #76 Опубликовано 28 января, 2022 10 часов назад, Appleness сказал: сейчас помет такой (примерно столько убираю раз в пару часов) он такой с ночи, но за ночь было в 3 раза больше 1 час назад, Appleness сказал: может фотка такая, я не замечала раньше желтого, буду сейчас следить смотрите за цветом помёта и мочевины: ярко зелёный помёт - или голод или печень или кандида тёмно-зелёный, коричневый, болотный - сытый помёт жёлтый или оранжевый - печень чёрный (если не ел уголь), бордовый, красный - кровь белая паста в помёте - мочевина и она должна быть белой
Appleness Опубликовано 28 января, 2022 Автор #77 Опубликовано 28 января, 2022 @маленький принц спасибо, буду следить. пока помет ярко-темно-зеленый (он яркий, но не салатовый, но и не болотный), и стал менее жидкий, это мы уже на каше в достаточном количестве ?
Шер Ами Опубликовано 28 января, 2022 #78 Опубликовано 28 января, 2022 Елизавета, ну так и я ж за то! Что бы прислушались к мнению Зоси. У Зоси дощировка на метрогил 5 мг. на 100 гр. веса птицы, два или три раза в день! А у врача 0.4 мл. два раза в день. С каких соображениий? Даже у Чеширского 1,5 мл. два раза в день. 1
Appleness Опубликовано 29 января, 2022 Автор #79 Опубликовано 29 января, 2022 (изменено) 6:30 помет жидкий темно-зеленый дала 10 мл каши без лекарств, в следующий раз дам амоксиклав и в третье метрогил У голубя вчера днем прилипло к клюву перо(белое, совсем мягкое), миска с водой у него стоит. За ночь прилипли еще несколько таких перьев. Аккуратно помыла клюв ватной палочкой. Мне что-то сделать, чтобы такого не было? Так как после назначение лечения врачи с форума не комментировали дозировки, то придерживаюсь назначенных. амоксиклав 0,5 (250 мг + 5 мл воды) - 2 раза метрогил 0,4 - 2 раза флюканазол 0,12 (50 мг + 5 мл воды) - 1раз мелоксикам 10 мг (врач выдал готовый шприц на 100 мг) Изменено 29 января, 2022 пользователем Appleness
Шер Ами Опубликовано 29 января, 2022 #80 Опубликовано 29 января, 2022 Метрогил 1,5 мл. два разав день. Флуконазол /50 мг./ развести в 5 мл. воды, по 0.3 мл. два раза в день. На мелоксикам ОФА дозировку даст.
ГалинаМи Опубликовано 29 января, 2022 #81 Опубликовано 29 января, 2022 У Вас в теме есть дозировка на метрогил: Меньшее количество не убивает трихомонады. Трихомоноз пожирает птицу, передает дырки в органах, каждый день может принести необратимые изменения. Удивляюсь Вашей выдержке...
Appleness Опубликовано 29 января, 2022 Автор #82 Опубликовано 29 января, 2022 (изменено) @Шер Ами @ГалинаМи пожалуйста, поймите, я игнорирую советы по лекарствам от не врачей, кроме того выше @маленький принц уже написал, что флуканазол давать по 0,12 и ждать рекомендаций @OFA Аккуратно предположу, что один препарат можно давать в большей дозировке, но 3 препарата должны быть согласованы по дозировками. Все советы от врачей форума были даны до операции и назначения комплексного лечения, поэтому я их игнорирую. Но если OFA выскажется за увеличение дозировок, я позвоню врачу, который оперировал и смотрел под микроскопом на мазок, если у него не будет возражений, то дозировка сразу будет увеличена. Я с большой благодарностью отношусь ко всем советам по содержанию птицы! Я заказала лампу, если у вас есть опыт как ее лучше установить (в коробке или светить через дырку), какой наполнитель лучше подойдет (врач сказал поставить маленькую коробку, а снизу разоложить наполнитель) - пожалуйста пишите, мне это очень поможет! Изменено 29 января, 2022 пользователем Appleness
Appleness Опубликовано 29 января, 2022 Автор #83 Опубликовано 29 января, 2022 (изменено) Я позвонила врачу, он сказал, что по этим дозировкам работает уже 10 лет, они не сниженные и не щадящие. Буду продолжать придерживаться назначенного лечения. Этот вопрос закрыт. Подскажите в какое время лучше взвешивать голубя и как часто это надо делать. Наверное утром перед первым кормлением. Каждый день? 9:30 амоксиклав, мелоксикам, каша 10 мл Изменено 29 января, 2022 пользователем Appleness
ГалинаМи Опубликовано 29 января, 2022 #84 Опубликовано 29 января, 2022 14 минут назад, Appleness сказал: Я позвонила врачу, он сказал, что по этим дозировкам работает уже 10 лет, они не сниженные и не щадящие. Буду продолжать придерживаться назначенного лечения ?
Appleness Опубликовано 29 января, 2022 Автор #85 Опубликовано 29 января, 2022 (изменено) Еще врач предложил положить наполнитель, например, опилки. Может быть лучше солому, чтобы не прилипала к лапам? Если у вас есть опыт с наполнителем, то расскажите пожалуйста. Он предложил такой вариант: в большую коробку ставим маленькую (как от обуви), а вокруг наполнитель, чтобы лапы по минимуму контактировали с пометом. Изменено 29 января, 2022 пользователем Appleness
Шер Ами Опубликовано 29 января, 2022 #86 Опубликовано 29 января, 2022 Ну и придерживайтесь дозировак врача. Кто против? Зачем тогда на форум писать? И я непойму что он там оперировал? Трихомоноз оперировал? Ну это вообще курам на смех!
Appleness Опубликовано 29 января, 2022 Автор #87 Опубликовано 29 января, 2022 @Шер Ами нет, оперировали не трихоматоз. Если не понимаете и полезного ничего не можете сказать по содержанию птицы, а не лечению, то и не флудите. Врачи (оперировали двое) сказали, что образование необычное, неспецифичное для трихоманоза. Рентген показал, что это не онкология. Трихоманоз - сопутствующее заболевание. Внутри горла все чисто. В моем представлении это было похоже на человеческий флюс. Были отмершие ткани. Мне сложно точнее описать. Эта штука также вызвала отек, сейчас он спадает. Из-за отека голубь ест с трубочкой из шприца. Во вторник можно будет начать аккуратно добавлять пшено - просто поставить в коробку и посмотреть будет ли клевать. Пока общий план такой. Я захожу в комнату, где коробка с голубем только при кормлении, может его чаще проверять? Или лучше не беспокоить?
ната1805 Опубликовано 29 января, 2022 #88 Опубликовано 29 января, 2022 врач дебил. таких встречала. таких врачей надо лишать звания врача. купил диплом в переходе, даже дозировки лекарств неправильно написал, жесть. бедный голубь, у него с каждым разом шансы на выздоровление тают на глазах. врач советует отпаивать глюкозой голубя, это я читаю на первой странице, Чтооооо?????? Глюкозой ? Он точно врач? Фамилию врача напишите! 1
Appleness Опубликовано 29 января, 2022 Автор #89 Опубликовано 29 января, 2022 @ната1805 это разные врачи в этой теме рекомендации по лечению принимаются только от @OFA и @маленький принц @ната1805 отправила в игнор
Appleness Опубликовано 29 января, 2022 Автор #90 Опубликовано 29 января, 2022 12:30 каша 10 мл + метрогил 0,4 + каша 5 мл OFA писала давать метрогил после еды. это чтобы не было агрессивного воздействия на зоб? у меня не получается оставив трубку в голубе набрать новый шприц, я боюсь незафиксированный голубь с трубкой может получить травму. поэтому я для второго кормления сегодня была вынуждена 2 раза вставлять трубку - поэтому дала метрогил между кашами сегодня куплю шприц на 20, чтобы с одного раза давать 15 мл каши @OFA на восковице что-то зеленоватое, это вписывается в общую картину? прокомментируйте пожалуйста вчерашние назначения, а то возмущающихся много и еще раз продублирую в этом сообщении что мне сказали в новой клинике в пятницу днем: голубю удалили не трихоматозные образования, было два (новых) орнитолога (про старого врача с глюкозой забыли еще в четверг утром), и вторая врач сразу сказала, что это не трихоматоз. уже потом, посмотрев соскоб она нашла паразитов и это отразилось в назначенном лечении. но трихоматоз - сопуствующее заболевание, не он вызвал отек, образование во рту и проблему с заглатыванием зерен.
Рекомендуемые сообщения
Для публикации сообщений создайте учётную запись или авторизуйтесь
Вы должны быть пользователем, чтобы оставить комментарий
Создать аккаунт
Зарегистрируйте новый аккаунт в нашем сообществе. Это очень просто!
Регистрация нового пользователяВойти
Уже есть аккаунт? Войти в систему.
Войти