Перейти к содержанию
Место для вашей рекламы

 

Качает хвост в такт дыханию, часто чихает, одышка после полета, плохой помет


Рекомендуемые сообщения

Опубликовано (изменено)

У моего попугая уже давно целый ряд тревожных симптомов. Как ему можно помочь?

 

1. Хвост "тикает" в такт дыханию. Более того - он всем телом покачивается в такт дыханию.

2. Наблюдается одышка после полетов.

3. Часто чихает. Как сухое, так и мокрое чихание. Чаще - сухое.

4. С жидким пометом борьба уже несколько лет. В 80% времени он либо совсем жидкий, либо полужидкий. 

 

Чем только не лечила - все бестолку.

Антибиотиками, бактериофагами, пробиотиками, карсилом, нистатином, мильгаммой, глюконатом кальция...

Не знаю, что делать... И не могу понять, что является причиной всех этих проблем - сердце? легкие? печень? почки? 

О каком заболевании могут свидетельствовать данные симптомы и как их устранить?

 

ВИДЕО С ТИКАНИЕМ ХВОСТА 1 - 

 

 

ВИДЕО С ТИКАНИЕМ ХВОСТА 2 -

 

 

 

1.jpg

2.jpg

3.jpg

4.jpg

Изменено пользователем Kristis
Опубликовано

рентген ему можете сделать? записаться к ветеринару

Опубликовано
4 минуты назад, viraiv сказал:

рентген ему можете сделать? записаться к ветеринару

Подскажите, а что может показать рентген? Он разве информативен применительно к волнистому попугаю? 

Опубликовано

у нашего попугая были похожие симптомы, плюс еще появился звук при дыхании, щелчки. Оказалось это опухоль, которая пережимала легочные мешки. У вашего животик не надут? если намочить из пульверизатора - будет плоский или там будет шарик? (пивной живот)

Опубликовано

ооо,рентген оч много чего может показать (даже то что вы и не подозреваете). Если он читабелен конечно. Желателно на цифре делать,или с оцифровкой. Если тока пленочный есть-всеравно делайте,просите максимум четкости,ну и держать птицу в 4руки и правилно (четко ровно на спине и на боку,как-см у меня в подписи).

нпр,у меня волна год помет влажный\жидкий,на ренгене-опухоль семенника. у другой-задыхался,вытягивал шею-опухоль зоба\шитовидки, у другого была жуткая оттдышка-на снимке ярко выражен сосудистый рисунок легких.

 

чтобы узнать причину и поставить диагноз,а значит ПРАВИЛЬНО лечить-нужно провести полное обследование. Я бы сделала полную капрограмму помета,мазок с глотки\носа на бакпосев и цитологию,рентген (см причину отдышки,у нас нпр на снимке были гранулемы на легких и серце). Иначе с антиб,фагами,противогрибковыми можно просто не попасть либр не от того лечите.

Гляньте у меня в подписи есть списки рекоменд.врачей,поищите мож кто у вас рядом есть.

Опубликовано
6 часов назад, Delfin сказал:

чтобы узнать причину и поставить диагноз,а значит ПРАВИЛЬНО лечить-нужно провести полное обследование. Я бы сделала полную капрограмму помета,мазок с глотки\носа на бакпосев и цитологию,рентген (см причину отдышки,у нас нпр на снимке были гранулемы на легких и серце). Иначе с антиб,фагами,противогрибковыми можно просто не попасть либр не от того лечите.

Гляньте у меня в подписи есть списки рекоменд.врачей,поищите мож кто у вас рядом есть.

 

Спасибо за ответы! Во вторник повезу к 9 утра на рентген. К сожалению, сопровождать меня некому, а в клинике тоже только 1 доктор будет смотреть птичку. Поскольку доктор будет на аппарате, смогу ли я правильно зафиксировать птицу на рентгене? Везде пишут, что нужно в 4 руки.

 

И нужно ли как-то готовиться к рентгену? Например, ничего не давать есть с утра. В клинике сказали, что якобы это не имеет значения.

 

И еще вопрос - не будет ли для очень доверчивого и ручного попугая такая процедура большим стрессом? Как его можно подготовить? Читала, что у некоторых птицы умирали прямо на рентгене от инфаркта от стресса((

 

Так-то я неоднократно его раньше брала в руки для дачи лекарств - он очень сильно пищал, вырывался, но, в принципе, переносил нормально. А тут ведь придется ему расправлять крылья, вытягивать лапки... 

Опубликовано

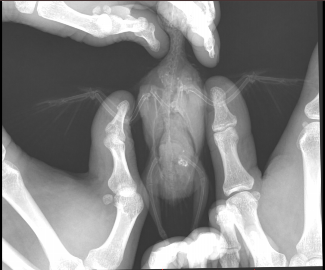
Во вторник отвозила птицу на рентген. Врач сказала, что очень сильно увеличена печень и другие органы. Также сдавлены воздухоносные мешки (из-за увеличенных внутренних органов). Отсюда - одышка. Также врач нашла перелом (старый?) ключицы. Попугая было очень сложно удерживать, поэтому снимки получились, возможно, недостаточно информативными - но какие уж получились((

 

Врач назначила:

 

1. Сумамед сусп 100 мг/5 мл по 0,1 в клюв 1 р./д., курс 4 недели.
2. Дифлюкан 2 мг/мл по 0,12 мл в клюв 1 р./д., курс 4 недели.

3. Гепатовет по 0,05 мл в клюв 2 р./д., курс 1 месяц.
4. Глюконат кальция по 2 мл в поилку, 2 недели с перерывом 2 недели, каждые 2-3 месяца.

Исключить полностью - минеральную смесь (ракушечник), каши. Без ограничений - сочные корма. Зерносмесь 1 ч.л. в сутки. Довести вес до 43-45 грамм.

 

@Zosia здравствуйте! Посмотрите, пожалуйста, снимки - видите ли вы на них отклонения, опухоли? Есть ли какие-то патологии? И одобряете ли вы назначенное лечение в нашей ситуации? Спасибо! 

Боковая 1.png

Боковая 2.png

Боковая 3.png

Боковая негатив 1.png

Боковая негатив 2.png

Боковая негатив 3.png

Боковая основная.jpg

Прямая 1.png

Прямая 2.png

Прямая 3.png

Прямая негатив 1.png

Прямая негатив 2.png

Прямая негатив 3.png

Прямая основная.jpg

2.jpg

4.jpg

Опубликовано

...@Kristis, какие ещё провели исследования?

Широкую копрограмму и смыв из зоба делали (на основании чего выписали суммамед дефлюкан)?

Назначения представляются мне адекватными, но хотелось бы полной информации по исследованиям и поставленному диагнозу.

 

Печень видится мне увеличенной, но нужно чтобы @Zosia достоверно прочла снимки.

Опубликовано

Бакпосев в этой клинике, сказали, не делают. Врач только посмотрела помет на микроскопию, а также взяла на окраску по Циль-Нильсону. Заключение прикладываю (см. фото). Сегодня созванивалась относительно окраски по Циль-Нильсону - сказала, что по данному анализу ничего не нашла.

 

Но нашла инфекционную флору - отсюда, как я поняла, в назначениях Сумамед и Дифлюкан.

Также брала мазок из клюва на микоплазму - но результатов пока нет.

 

Я вчера начала давать Сумамед и Дифлюкан, поскольку врач сказала начинать давать, не дожидаясть результатов, но теперь думаю, что не поспешила ли я? Сумамед давала уже два раза, Дифлюкан пока один раз - может быть, отменить?

 

Относительно обнаруженных палочек - я забыла сказать на приеме, что давалат попугаю в течение нескольких дней до сдачи анализов Ветом (это ведь тоже палочка?), однако врач сказала сегодня по телефону, что это не могло повлиять на кол-во палочек в помете, поэтому Сумамед и Дифлюкан - все равно давать.

 

Подскажите, пожалуйста, как лучше поступить? Эти препараты назначены на месяц. Два дня дачи уже прошло...

1.jpg

2.jpg

Опубликовано

@Zosia @Delfin @Кузяныч помогите, пожалуйста! Я уже второй день даю Сумамед и Дифлюкан. Подливаю Кальция Глюконат в поилку. Сегодня/завтра еще планирую подключать Гепатовет в клюв. Вчера в клинике сказали, что на микоплазму и хламидии результат отрицательный (правда, ни лаборатория, ни врач в результатах не указаны, просто бумажка - надеюсь, они не просто так написали, а что-то смотрели). 

 

И все-таки - нужно ли мне продолжать давать эти препараты, учитывая, что микоплазмы нет, а попугай совсем не похож на тяжелобольного (летает, поет, ест)? Или прекращать, пока не поздно, и переходить на какую-то другую терапию (из симптомов, напомню - увеличенная печень (?) на рентгене, небольшая одышка после полета (в состоянии покоя одышки не было и нет), качание хвостом в такт дыханию).

 

Очень жду ответа(( ? чтобы вовремя отменить препараты, если их нужно отменять.

2020-08-21_225325.png

Опубликовано

я, всё же, не стал бы давать дифлюкан и сумамед, лучше обойтись безопасными местными препаратами.

 

Дифлюкан --- системное противогрибковое.

Но ни дрожжеподобных грибов, ни мегабактерий (это тоже разновидность дрожжевых грибов) копрограмма не зафиксировала.

Было бы их большое количество --- хотя бы 1-2 в п.з. нашлось бы.

А так, как по мне, либо их действительно нет, либо, даже, если грибы присутствуют, то в единичной концентрации, что даёт шанс обойтись нистатином и споровитом с энтеролом.

 

Сумамед был бы обоснован наличием патогенной флоры.

Если бы вам выделили йодофильную флору, то можно допустить, что в виду отсутствия возможности сделать бакпосев, вам интуитивно назначили определённый антибиотик.

Но наличие бактерий никак не подтверждено в анализе.

Хотя по уму, чтобы иметь наибольшие шансы на успешное лечение, нужно делать бак.посев с конкретизацией бактерий и определением их чувствительности к перечню препаратов.

 

Отклонения по результатам --- нарушение соотношения палочек / кокков (дисбактериоз) и присутствие небольшого количества кишечного эпителия (хотя в некоторых анализах считается допустимым его единичное присутствие).

 

Показатели нарушения работы печени (нейтральный жир, например) --- прочерк.

По идее, при серьёзном нарушении работы печени что-то бы было.

 

Перечитал всё заново.

...Не знаю, почему я вбил себе в голову, что у вас корелла --- волнистик же.

 

По видео попугайчик выглядит чрезмерно упитанным.

Пожалуйста, взвесьте его на электронных весах.

Сколько ему лет?

Подробно распишите рацион (с указанием названий кормов и витаминных препаратов, что ела птица с человеческого стола, грызла ли цветы, землю из горшков).

Опубликовано
1 час назад, Кузяныч сказал:

я, всё же, не стал бы давать дифлюкан и сумамед, лучше обойтись безопасными местными препаратами.

 

Дифлюкан --- системное противогрибковое.

Но ни дрожжеподобных грибов, ни мегабактерий (это тоже разновидность дрожжевых грибов) копрограмма не зафиксировала.

Было бы их большое количество --- хотя бы 1-2 в п.з. нашлось бы.

А так, как по мне, либо их действительно нет, либо, даже, если грибы присутствуют, то в единичной концентрации, что даёт шанс обойтись нистатином и споровитом с энтеролом.

 

Сумамед был бы обоснован наличием патогенной флоры.

Если бы вам выделили йодофильную флору, то можно допустить, что в виду отсутствия возможности сделать бакпосев, вам интуитивно назначили определённый антибиотик.

Но наличие бактерий никак не подтверждено в анализе.

Хотя по уму, чтобы иметь наибольшие шансы на успешное лечение, нужно делать бак.посев с конкретизацией бактерий и определением их чувствительности к перечню препаратов.

 

Отклонения по результатам --- нарушение соотношения палочек / кокков (дисбактериоз) и присутствие небольшого количества кишечного эпителия (хотя в некоторых анализах считается допустимым его единичное присутствие).

 

Показатели нарушения работы печени (нейтральный жир, например) --- прочерк.

По идее, при серьёзном нарушении работы печени что-то бы было.

 

Перечитал всё заново.

...Не знаю, почему я вбил себе в голову, что у вас корелла --- волнистик же.

 

По видео попугайчик выглядит чрезмерно упитанным.

Пожалуйста, взвесьте его на электронных весах.

Сколько ему лет?

Подробно распишите рацион (с указанием названий кормов и витаминных препаратов, что ела птица с человеческого стола, грызла ли цветы, землю из горшков).

 


Здравствуйте. Я только что ездила к врачу.
Задала ей вопросы:

 

вопрос: в связи с чем назначен такой антибиотик?
ответ: я увидела на снимках запущенную пневмонию, увеличенные семенники (и возможно опухоль на них), увидела в помете много палочек. Отсюда - назначение.

 

вопрос: попугаю давался Ветом в течение нескольких дней до приема у врача. Может ли это быть причиной наличия палочек?
ответ: нет, Ветом не может быть причиной наличия палочек.

 

вопрос: вы назначили антибиотик только на основании снимка? Почему не назначили сначала бакпосев?
ответ: в нашем городе (Казань) бакпосев никто не делает, в этом нет смысла. Все и так видно на снимках (плюс симптомы - частое чихание, "тикание" хвостом, одышка после полетов)

 

вопрос: вы брали мазок из зоба на микоплазму и хламидии. Оба результата отрицательные. Тогда откуда вывод, что есть пневмония?
ответ: у вас запущенная пневмония. Анализы - не про это. Продолжайте пить антибиотик.

 

вопрос: можно ли заменить Флуконазол, который вы назначили, на более мягкий препарат типа Нистатина?
ответ: нет, Нистатин - это бесполезный препарат. Смысл имеет пить только системный Флуконазол.

 

вопрос: можно ли заменить Гепатовет (из-за него попугай пачкается и потом мучается, пытаясь вычистить перья) на карсил?
ответ: нет, карсил - это гомеопатия. Бесполезный препарат.

 

вопрос: можно ли сократить срок приема Сумамеда до 2-3 недель? Чтобы не мучать птицу целый месяц?
ответ: нет, Сумамед меньше 4-5 недель не пьют.

 

вопрос: я боюсь, что на фоне антибиотика у попугая погибнет микрофлора. Нужно ли ему начинать давать какой-нибудь пробиотик вместе с антибиотиком?
ответ: нет, ничего не погибнет. Пробиотик я вам назначу через месяц, когда закончите пить Сумамед.

 

Прокомментируйте, пожалуйста, ответы врача? Очень хотелось бы "второе/третье мнение"...


Я не могу сказать, что попугаю стало хуже на фоне приема - он справляется. Но и лучше тоже не стало. Пьем уже 6-й день. И сейчас попугай по-прежнему чихает. И одышка небольшая после полетов по-прежнему есть.


Правда, могу отметить, что помет улучшился - он стал более сформированным. А был жидким. Но, может ли быть, что это из-за стресса - из-за того, что часто его ловлю и из-за этого мышцы кишечника как-то группируются?

 

В общем, очень не хочется оставить попугая недолеченным - хочется уже его пролечить хорошо.
Но и перелечить я тоже боюсь. Как бы не сделать ему хуже...

 

Напомню, что по прошлым бакпосевам были в разное время обнаружены: энторококки (большое количество), энтеробактерии (умеренное количество), кандида (она у нас стабильно обнаруживается), стафилококк (небольшое количество). 

 

Вес попугая 51 грамм. Да, он толстоват.

Возраст - 3,5 года.

Вид - волнистый попугай.

Пол - самец.

Опубликовано

я не врач,но чисто теоретически если антиб пропит более 5дней-то придется провести полный курс во избежании выроботки нечуствителности патфлоры.

Опубликовано

Затруднение дыхания может быть из-за лишнего веса. Постарайтесь давать только здоровую и качественную пищу, никаких сладких палочек, хлеба в молоке и всякой подобной лабуды. Творог и яйца тоже пока не давать (если вы его балуете этим). Ограничивайте количество корма, сухой должен быть всегда, но с минимальным кол-вом подсолнуха и орехов, замоченный держать не в тепле и промывать каждые 6-8 часов (не реже), чтобы не забраживал. Каши не чаще 2-3-х раз в неделю, без соли (и молока конечно )). Хорошо если есть возможность давать чумизу или просо в колосках. Только смотрите всегда за качеством корма, чтобы не было плесени, поеденного, плохо пахнущего и т.п. Овощи - фрукты без ограничений, но без семян с синильной кислотой (семена яблок например). И ежедневные тренировки с полетами, постепенно, без фанатизма увеличивая нагрузки. Добавляйте отвар ромашки в питье, курсами - пару недель пропил, перерыв. В остальном смотрите по самочувствию. К сожалению есть такое понятие как "залечить", врачам обычно удобно иметь полную картину с максимальным количеством анализов, и лечением "от всего" на всякий случай. Не всякий даже здоровый организм может с этим справиться. Поэтому реагируйте на все спокойно, у вас своя голова на плечах, никто не знает вашу птицу лучше чем вы.

Нашему попугаю при неоперабельной опухоли помогал кстати сок морковки, натирали на мелкой терке и выжимали через марлю, давали раз в день из шприца без иглы в клюв по кубику, потихоньку, чтобы не подавился. Курсами, месяц даем, месяц перерыв. Но в вашем случае смотрите сами, можно пока сфокусироваться на здоровом питании и умеренной физической активности.

С антибиотиками конечно лучше курс пройти до конца, но это если птице не становится хуже. Можете попробовать пролечить хотя бы 10 дней. Все написанное мое личное мнение, относитесь к этому соответственно.

Опубликовано

1.Вес птицы- актуальный.

2.Прием а/б курсом долее 2 недель- требует наличия например хламидий, микоплазмы,криптоспоридий, возбудителей туберкулеза. Или очень высоких титров клебсиеллы. (Я не говорю о всяких остеомиелитах,это отдельная тема).

3.И нистатин, и силимарин (основа карсила)- входят в перечень протокольно назначаемых препаратов,принятых во всем мире (в т.ч. в США. Кстати в том же гепатвоете содержится как раз силимарин (а так же метионин,элькр,и куча травок). Просто гепатовет- препарат который применяется уже при недомоганиях печени, а у вас такового недомогания не указано ПО АНАЛИЗАМ (копрограмма). А толкьо лишь по увеличенной тени печени (да,это есть). И вполне возможно что карсила окажется достаточно. Там идет 13,5 мг по силимарину на вес 60-80 гр.

4.И конечно,если уже начали пить а/б- то придется хотя бы до 10 дней его "допить". Иначе вырастет резистентная к данному препарату флора.

5.И если у  вашей птицы "стабильно обнаруживается кандида"- то нистатин вам пить и пить, уже в лечебных дозах. И думать- окуда птиц ее получает.

6.Тень семенников действительноу величена. Но снимок вами показан дурного качества. И бОльшего я сказать не могу.

Возможно 6-8 дневный курс мелоксикама уберет данное воспаление, а может надо подключать гормоны. Но все это- только после курса а/б.

Опубликовано (изменено)

@Кузяныч @Zosia Сегодня 20-й день дачи антибиотика Сумамед. Наверное, больше давать не буду. Не раз наталкивалась на сообщения о "залечивании" птиц с печальным исходом - очень боюсь, что такое коснется и нас. Также прекращаю давать Гепатовет и Флуконазол.

 

Думаю, 20 дней - достаточный срок, чтобы убить гипотетическую заразу и не получить резистентность, как вы считаете?.

На фоне Сумамеда улучшился помет (где-то на 5-й день). Значит, какой-то эффект от него все же был.

 

Одышка после полетов как была, так и осталась.

Чихание также осталось.

Но, в целом, попугай довольно активный, на тяжелобольного не похож.

Не вижу смысла продолжать давать сильнейший антибиотик птице, которая не похожа на тяжелобольную.

Изменено пользователем Kristis
Опубликовано

Вы долго не давали о себе знать... Пожалуйста, перечитайте тему --- выше есть вопросы по вашему попугайчику.

 

Вес птицы, укажите (@Zosia спрашивала)...

Дайте фото помёта попугайчика с расстояния 4..5см.

  • 2 года спустя...
Опубликовано

@Kristis подскажите , пожалуйста , помогли в итоге вашей птичке назначенные антибиотики ? Как она сейчас чувствует ?
Моей птички назначили такие же антибиотики , но ему через неделю стало хуже , появилось тикание хвоста , вялость , распущенный сидит , поджав ногу . Но орнитолог сказал не отменять лекарства и назначает их ещё больше .

из-за дачи лекарства в клюв , птица потеряла доверие .

не знаю прекращать ли лечение.  

Опубликовано

...к антиб.нужно давать комплекс: антимикотик,засел.пробиотик,гепатопротектор.именно на такой схеме я 2мес.птицу лечу без перерывов (была операция под нараозом на лапе,гангрена).Фиг с доверием...главное ЖИВАЯ,тощая,но живая.Потом все остальное подправим.Желаю вам скорешего выздоравления! пс:на антиб.у каждой птицы будет своя реакция.Но еще оч важно поддержать организм,иначе получите кандидоз,понос и траблу с печенью.

Для публикации сообщений создайте учётную запись или авторизуйтесь

Вы должны быть пользователем, чтобы оставить комментарий

Создать аккаунт

Зарегистрируйте новый аккаунт в нашем сообществе. Это очень просто!

Регистрация нового пользователя

Войти

Уже есть аккаунт? Войти в систему.

Войти
  • Последние посетители   0 пользователей онлайн

    • Ни одного зарегистрированного пользователя не просматривает данную страницу

×
×
  • Создать...
бесплатный бонус букмекерская контора
© MyBirds.ru, 2003 - 2025

Все материалы данного сайта, в том числе структура расположения информации и графическое оформление (дизайн), являются объектами авторского права. Копирование информации на сторонние ресурсы и сайты сети Интернет, а также любое иное использование материалов сайта без предварительного согласия правообладателя НЕ ДОПУСКАЕТСЯ.

При копировании материалов сайта (в случае получения согласия правообладателя), размещение активной индексируемой гиперссылки на сайт обязательно.