Перейти к содержанию
Место для вашей рекламы

 

Вспухший живот у воробья


Рекомендуемые сообщения

Опубликовано (изменено)

Здравствуйте! С нашим воробьём случилась беда-он заболел.
Воробей, 6 лет, самец. Корм-зерно (желтое просо , канареечное семя), прикорм-я блоко, морковь, овощи и фрукты. Световой день наверно 12 часов. У него один глаз, три года назад я писала о беде, которая с ним случилась здесь, на форуме (( Заболел недавно. Вернее, что у него утолщился и стал тупым кончик языка (как буд-то бы ему его немного отрезали, обычно он остренький) я заметила давно, еще зимой. А вот недавно (несколько дней назад) заметила, что он стал в корме сразу искать раскрытые зерна проса, а все остальные зерна так и остаются нетронутыми, т.е. он совсем перестал их расщелкивать (видимо из-за языка). Посмотрела язык-да, на кончике темное, как мертвая ткань, сбоку-белое. Почитала в интеренете, там советовали попробовать, снимается-ли всё это. С кончика снялось ватной палочкой, сбоку осталось. Язык утолщенный, отёчный, изнутри клюв бледный, ближе к горлу ткани красные. Заподозрила кандидоз , мажу Пимафуцином 1-2 раза в день. Вторая проблема-это вспухжий живот воле клоаки. Птица грустная, большую чать времени сидит с головой, спрятанной под крыло надувшись (спит). Клетка стоит на кухне, когда едим-просит что-то вкусненькое (есть такой грех-подкармливали со стола, но понемногу) .
Вес увеличился, обычно весил 25-26 граммов, сейчас-30. Помет чаще жидкий, белого примерно половина (сделаю фото) Фото приложу.
Фото языка водиночку сделать не получается, добавлю позже. На фото не видно, но сама клоака чистая, пометом не испачкана. Перья намочила, чтобы было видно живот.
Прошу помощи в спасении птицы. Очень жду советов.. Заранее спасибо всем откликнувшимся.

post-42116-1432917790_thumb.jpg

post-42116-1432917816_thumb.jpg

post-42116-1432917836_thumb.jpg

Изменено пользователем Воробка
Опубликовано (изменено)

Может кто-то все-таки отзовется ( Новости на сегодняшний день такие: возили птицу к врачу в ветклинику, врач сказал, что такое часто встречается у одиноких птиц, новообразование в животе, как я поняла с его слов из-за гормонов, половые железы (вроде так). сказал, что у птицы налицо нехватка витаминов, зерно пеерстал щелкать из-за гиперкератоза (хотя он у него давно , ели и с ним) , мое мнение-что не ест именно из-за языка, больно ему, они жет язык используют, когда зерно раскрывают. Гормоны и новообразование может и подозреваю, у воробьев на время брачного периода делается черным клюв, вот у нашего этот черный клюв был непрерывно наверно с сентября, как перелинял, и до мая, как опять частично перелинял (миелкие перья) вот сейчас клюв светлый и появилось это вздутие живота. Врач прописал Тетравит по 1 капле 2 недели, затем 1 раз в неделю. сегодня дала, но в инете нашла сведения, что такой препарат птицам нельзя из-за просто лошадиных доз жирных витаминов. или в качестве экстренной помощи можно? На вопрос "не умирает-ли моя птица?" доктор ответил, что не умирает. так вот боюсь залечить до смерти.. посоветуйте пожалуйста, что дальше делать и какие мнения есьт насчет вздутого живота? спасибо.
пимафуцин врач отменил, но язык-то не очень (((, белое сбоку, как омертвевшая ткань, есть. с этим что делать? или это тоже авитаминоз и витамины должны помочь?

Изменено пользователем Воробка
Опубликовано

Тут ВРАЧ нужен, поэтому позвоните в Москву: Полосатой: https://vk.com/redtabby
или Зосе: http://www.mybirds.ru/forums/index.php?showuser=4292

 

и - срочно - сделать рентген - нужен цифровой, ищите в вет или чел больнице, просите за денги, доза как на хомячка или детскую кисть ребенка, в 2ух проекциях, чтобы разглядеть МЯГКИЕ ткани, снимок выложить на форум- спецы прочтут. (как выложить на форум -см у меня в подписи). Жуть что с животом... ударится не мог? (гематома)
Тетравит пока не довать до одобрения НАШИХ врачей. Фото глотки нужно - ибо мы с вами не врачи -думает одно, а там может быть совсем другое :( (некроз нпр)

 

и да - СЕЙЧАС птичку кормить легкими мягкими кормами. Мой горобыш вот обожает кашки, запареное зерно без шелухи (крупы, толко учесть что РОЖ птицам незя). И ищите вет или чел лабу - поговортие с лаборантом - мазок с глотки на анализ -на бакпосев и цитологию. Я вот своим в Инвитро делаю - сдаю как "МОЙ мазок с зева на бакпосев" (цитологию не делают почемуто).

Опубликовано

Новообразование вполне может иметь место. тут только пальпация прямая и рентген могут что-то определенное сказать.
Сделайте фото клюва- есть ли гиперкератоз, и отдельно- в макторежиме- язычка так.чтобы все было видно.

 

ИМХО купите стоматологический гель с метронидазолом-Метрогил-дента- и кисточкой наносите на язычок и мягкие ткани по краям клюва.
И отдельно метронидазол (инфузионную форму удобно, 0.5%). Там в 100 мл содердится 500 мг. А на ваше вес(30 граммов) требуется в сутки 1.6 мг препарата. Это 0.32 мл в сутки. С учетом того что вес стандартно меньше,можете давать 0.3 мл.
Не менее 8 суток.

 

Все это не отменяет антимикотика.
Пимафуцин или нистатин.

 

Так же я бы давала преднизолон инъекционный.На ваш вес- 0.01 мл,не более, в сутки.

Опубликовано

Тут ВРАЧ нужен, поэтому позвоните в Москву: Полосатой: https://vk.com/redtabby
или Зосе: http://www.mybirds.ru/forums/index.php?showuser=4292

 

и - срочно - сделать рентген - нужен цифровой, ищите в вет или чел больнице, просите за денги, доза как на хомячка или детскую кисть ребенка, в 2ух проекциях, чтобы разглядеть МЯГКИЕ ткани, снимок выложить на форум- спецы прочтут. (как выложить на форум -см у меня в подписи). Жуть что с животом... ударится не мог? (гематома)
Тетравит пока не довать до одобрения НАШИХ врачей. Фото глотки нужно - ибо мы с вами не врачи -думает одно, а там может быть совсем другое :( (некроз нпр)

 

и да - СЕЙЧАС птичку кормить легкими мягкими кормами. Мой горобыш вот обожает кашки, запареное зерно без шелухи (крупы, толко учесть что РОЖ птицам незя). И ищите вет или чел лабу - поговортие с лаборантом - мазок с глотки на анализ -на бакпосев и цитологию. Я вот своим в Инвитро делаю - сдаю как "МОЙ мазок с зева на бакпосев" (цитологию не делают почемуто).


Спасибо огромное за помощь! буду искать, где можно сделать рентген, я в Севастополе, думаю, что это не так просто (( Удариться мог (( не так давно упал и я не не могу с уверенностью сказать, уплотнение уже было или появилось после. Хорошо, буду давать вареные хлопья нордик-пшено и гречку. Он их с удовольствием ест. А фрукты можно? Анализ постараюсь сдать, завтра (если не выходной буду звонить). Фото сделала.

 


Новообразование вполне может иметь место. тут только пальпация прямая и рентген могут что-то определенное сказать.
Сделайте фото клюва- есть ли гиперкератоз, и отдельно- в макторежиме- язычка так.чтобы все было видно.

 

ИМХО купите стоматологический гель с метронидазолом-Метрогил-дента- и кисточкой наносите на язычок и мягкие ткани по краям клюва.
И отдельно метронидазол (инфузионную форму удобно, 0.5%). Там в 100 мл содердится 500 мг. А на ваше вес(30 граммов) требуется в сутки 1.6 мг препарата. Это 0.32 мл в сутки. С учетом того что вес стандартно меньше,можете давать 0.3 мл.
Не менее 8 суток.

 

Все это не отменяет антимикотика.
Пимафуцин или нистатин.

 

Так же я бы давала преднизолон инъекционный.На ваш вес- 0.01 мл,не более, в сутки.


Зося, спасибо большое за ответ! Фото (по возможности лучшее) сделала, прикладываю. Хорошо, препараты буду применять. Клюв вчера подпилила немного. Он у него давно отрастает, а я халатно к этому отнеслась (( запустила птицу (( Зося, скажите полжалуйста, а Тетравит давать? Рентген буду искать, боюсь что понедельник тоже выходной, т.е. рентген затягивается. Сегодня птиц более веселый, хотя бы чирикал (ну не от одной же дозы Тетравита??) Пимафуцином буду мазать. (сразу напишу, у воробьишки нашего нет одного глаза, три года назад это случилось, на форуме писала((

post-42116-1433062560_thumb.jpg

post-42116-1433062582_thumb.jpg

post-42116-1433062617_thumb.jpg

Опубликовано

мне вот лично не нра состояние рогового чехла клюва с правой стороны ближе к перьям -словно клещик или типа того начинающийся. Я бы взяла мазок и сдала в Инвитро\Синево как "мазок с ногтя" или типа того (смотрят под микроскопом на грибки) -вам дадут пробирку с транспортной средой на дом, дома повазюкаете по клюву. Ориентировочно стоит 500р, "бакпосев с зева" - 600р (я делала бакпосев, но т.к. у нас ничо не высеялось -рез-т был готов через 4 дня).
Хотя понимаю -что на фоне приема лекрств (антиб и антимикотики) рез-т может быть НЕверным, но все же это лучше чем ваще не делать анализ (я бы мазки брала с утра как проснется -до того как начнет кушать\пить и его начнут лечить)

Опубликовано

про ЕДИНСТВ в Крыму ЦИФРОВОЙ рентген : клиника Ветмир, Севас, Шостока-7: https://vk.com/vetmirsev если не ошибаюс рентгенолога зовут Иван, цену не скажу, не спросила :(

Опубликовано

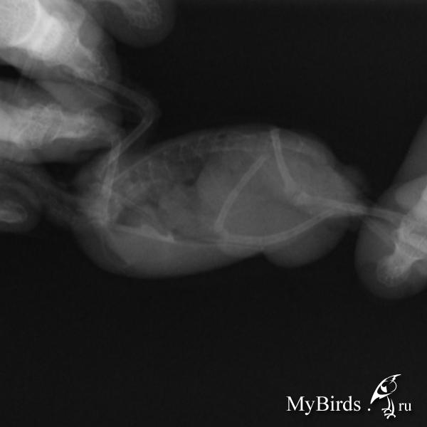
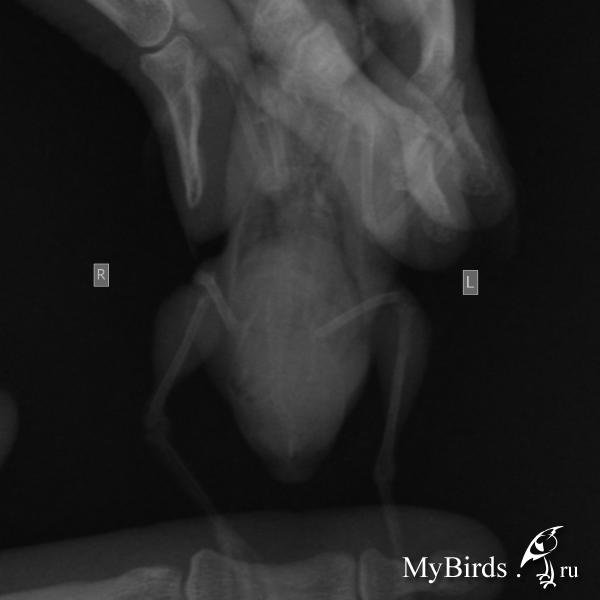
Есть рентген, прилагаю. Очень жду мнения специалиста.

post-42116-1433081614_thumb.jpg

post-42116-1433081628_thumb.jpg

post-42116-1433081652_thumb.jpg

post-42116-1433081673_thumb.jpg

post-42116-1433081688_thumb.jpg

Опубликовано

Ответила в личке.

 

Никаких витаминов (кроме группы В) пожизненно. Все прочее написано в личке.

Опубликовано

а можно сам ДИАГНОЗ озвучить? а то я тоже переживаю что же это такое...

Опубликовано

а можно сам ДИАГНОЗ озвучить? а то я тоже переживаю что же это такое...

Плохой диагноз. Совсем плохой...
Опубликовано

Zosia, мне тоже стало интересно.. Зося, если можно, напишите в личку? И как предотвратить.

Опубликовано

На всякий случай фото помета. Этот "экземпляр" вроде ничего, но сам"червяк" (простите за такое объяснение) стал тоньше. Аппетит не очень плохой, птица ест. Рацион такой: хлопья пшеные вареные (нордик) или они же, только гречневые, в клетке лежит пшено, зерна на всякий случай (хотя их не ест). ест яблоко, ел вареную свеклу.

post-42116-1433098898_thumb.jpg

Для публикации сообщений создайте учётную запись или авторизуйтесь

Вы должны быть пользователем, чтобы оставить комментарий

Создать аккаунт

Зарегистрируйте новый аккаунт в нашем сообществе. Это очень просто!

Регистрация нового пользователя

Войти

Уже есть аккаунт? Войти в систему.

Войти
  • Последние посетители   0 пользователей онлайн

    • Ни одного зарегистрированного пользователя не просматривает данную страницу

×
×
  • Создать...
© MyBirds.ru, 2003 - 2025

Все материалы данного сайта, в том числе структура расположения информации и графическое оформление (дизайн), являются объектами авторского права. Копирование информации на сторонние ресурсы и сайты сети Интернет, а также любое иное использование материалов сайта без предварительного согласия правообладателя НЕ ДОПУСКАЕТСЯ.

При копировании материалов сайта (в случае получения согласия правообладателя), размещение активной индексируемой гиперссылки на сайт обязательно.