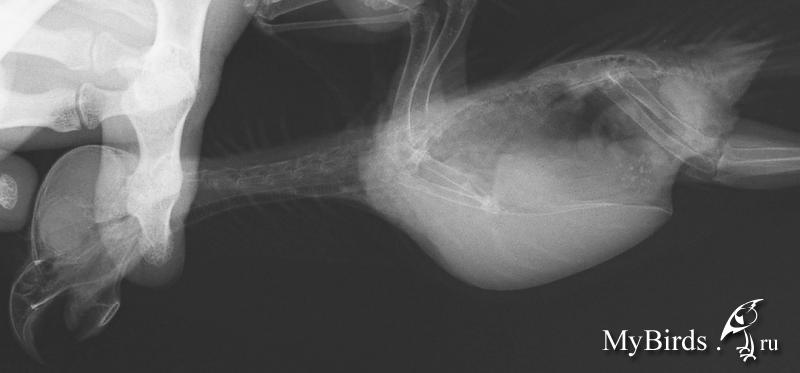
NikaK Опубликовано 9 сентября, 2013 #1 Опубликовано 9 сентября, 2013 (изменено) Розеллы мальчик и предположительно девочкамальчик - 11 лет, девочка год с небольшимрацион содержание и прочее - в темеhttp://www.mybirds.ru/forums/index.php?sho...&hl=розелла сейчас мне нужен только ответ по конкретным рентгенам. большие изображения лежат вот тут ftp://ftp.batteryteam.ru/pdf%20to%20print/Мальчик 11 лет Девочка (может быть нет) 1,5 года вопрос - можно ли по этим снимкам подозревать аспергиллёз?заранее спасибо за ответ. Изменено 9 сентября, 2013 пользователем NikaK
Zosia Опубликовано 9 сентября, 2013 #2 Опубликовано 9 сентября, 2013 У саммца (Жорка,да?) точно что-то есть, и одно легкое нехорошо вздуто. У самки если и есть (в центральной части затемнение)- видно плохо. Анализ нужно делать,причем 3 раза.Аспергиллез по трем анализам ставят,два должно быть положительно. Т.к. лечение его а)- дорогое (очень), б)- токсично, требует параллельно несколько препаратов- для прикрытия.
NikaK Опубликовано 10 сентября, 2013 Автор #3 Опубликовано 10 сентября, 2013 Спасибо большое, что откликнулись!А скажите еще, пожалуйста - какой именно анализ нужно сделать? А то мнения расходятся, кто говорит бак.посев из зоба, кто мазок из глотки? Я же не врач, мне сложно разобраться. Понимаю только, что все как-то очень сложно, и нужно найти того, кто сможет разобраться, что именно с моими птицами, которых я уже фактически ГОД лечу по анализам - а результат - птицы больны.И еще - по рентгену не видно пол?
Zosia Опубликовано 10 сентября, 2013 #4 Опубликовано 10 сентября, 2013 Спасибо большое, что откликнулись!А скажите еще, пожалуйста - какой именно анализ нужно сделать? А то мнения расходятся, кто говорит бак.посев из зоба, кто мазок из глотки? Я же не врач, мне сложно разобраться. Понимаю только, что все как-то очень сложно, и нужно найти того, кто сможет разобраться, что именно с моими птицами, которых я уже фактически ГОД лечу по анализам - а результат - птицы больны.И еще - по рентгену не видно пол? Пол не виден.Его определяют в ЦMД (350 рэ стоит,делается 8 дней,старшей птице точно определят,более молодой- могут не сразу), у меня птенцам -ожереликам определяли после 7-ми месяцев, а как у розеллок это проходит-просто не знаю). Привозила птицу в клетке, у неё выдирали перо и брали соскоб из клоаки (потом полдня сукровица была и птенцы пукали нещадно.пропили крапивки- все прошло. Пол все разы (7 птенцов) определяли точно.На аспергиллу можно помет сдавать.Посев из зоба- на кандиду и дрожжеподобные прочие (типа родотура рубра), мазок из зоба- травматичен.Опять же- у вас проблема не в ЖКТ, а в легких. Простое сли уже есть аспергилломы- то выделения с пометом могут быть гриба.препарат.который используется при аспергиллезе- Вифенд. На крайняк интраконазол,но толькое сли на него есть чувствительность у патформы.
NikaK Опубликовано 10 сентября, 2013 Автор #5 Опубликовано 10 сентября, 2013 то есть, я обзваниваю лаборатории и спрашиваю у них, дословно, - берут ли они посев из зоба на кандиду и дрожжи?или помет на аспергиллу?
Zosia Опубликовано 10 сентября, 2013 #6 Опубликовано 10 сентября, 2013 Анализ НА ГРИБЫ- полный спектр. Потому что очень похожий рентген я видела три года назад- но это был не аспергиллез, а легочная форма как раз родотура рубра (в такой ситуации- всегда летальна,птиц был контрабандный из Венесуэлы- суринамский амазон).Там даже хозяин пострадал (т.к. кормил его в последние дни изо рта в клюв), но его,зная анализ, уже сразу в инфекционку положили и вылечили. Поскольку вы не совершаете такой глупости,то вам ЛИЧНО беспокоится не стоит. ес-но помет для начала.Если смогут грамотно взять мазок из зоба (В белом Клыке например, или в Центре, или в Шансе)- то и его тоже.
NikaK Опубликовано 10 сентября, 2013 Автор #7 Опубликовано 10 сентября, 2013 (изменено) тааак. обзвонила три лаборатории...шанс био, веттест и неовет.анализ на аспергиллез ни одна не делает. как это?что делать то?в ЦМД - нет точно по прайсу анализа на аспергиллу.вот тут мне еще сказали что надо мазок из глотки брать.... Изменено 10 сентября, 2013 пользователем NikaK
NikaK Опубликовано 10 сентября, 2013 Автор #8 Опубликовано 10 сентября, 2013 (изменено) оооо! вот мне пришло от врачабак пришли: выделены условно-патогенные микробы: Bacillus spp. и Micrococc....за себя я не беспокоюсь - я беспокоюсь за них - потому что год лечу - и в результате насквозь больные птицы!Zosia, а Вы случайно не ведете прием, как орнитолог? Изменено 10 сентября, 2013 пользователем NikaK
NikaK Опубликовано 10 сентября, 2013 Автор #9 Опубликовано 10 сентября, 2013 "Анализы от Триши бак пришли: выделены условно-патогенные микробы: Bacillus spp. и Micrococc, грибов пока не высеяно, но как я говорила, они могут быть не определены по мазку."то есть, я так понимаю, один бак. посев уже НЕ показал аспергиллу... еще парочку надо сделать для достоверности?
Zosia Опубликовано 10 сентября, 2013 #10 Опубликовано 10 сентября, 2013 Так.Поговорила с теми,кто вас сейчас ведет. Мое мнение- до аспергиллезного диагноза вам надо исключить ТУБЕРКУЛЕЗ,т.к. ваша упавшая иммунка, и то что на ваших птиц все садится, и то что одна птица явно заразилась от второй (а такого в ДОМАШНИХ условиях при аспергиллезе практически не бывает,зато бывает при туберкулезе) и специфически вздутое лоегкое, и сетчатый рисунок на нем- может говорить именно о Т, а не о А. исключить (или подтвердить) Т легче,чем А. Это сделают в Горветлаборатории.Я созвонилась с ними, и созвонилась в Мариной Лешковой (Центр, вы в четверг илите- будете сдавать кровьЮ смыв и,возможно,фекалии- на исключение туберкулеза. До результатов анализа- максимально птицу иммунить (всем чем можно- от катозала до фоспренила), только если прмиенять будете параллельно два иммуностимулятора- дозы давать половинные по каждому. А иммуномодулятор (деринат например) или иммунопротектор (катозал)- без изменений.Дозы "стандарт" по иммуностимуляторам: 0,02 мл на каждые полные 50 граммов веса птицы суточноИммуномодуляторы- 0,054 мл суточно на каждые 50 граммовиммунопротекторы- 1:200 в поилку.исключить все фрукты и овощи (ВРЕМЕННО).Никаких витаминов.
NikaK Опубликовано 10 сентября, 2013 Автор #11 Опубликовано 10 сентября, 2013 (изменено) тогда я правильно не начала давать назначенный орунгал Н.С. так там в четверг будет принимать Лешкова? Нужно записаться, там уже нет записи на четверг. Или меня так возьмут, как постоянного пациента?обеих нести? одинаковые анализы? Изменено 10 сентября, 2013 пользователем NikaK
Zosia Опубликовано 10 сентября, 2013 #12 Опубликовано 10 сентября, 2013 тогда я правильно не начала давать назначенный орунгал Н.С. так там в четверг будет принимать Лешкова? А с Волгиной мне как объясниться?) Точно так же. Наталья Сергеевна сейчас на конференции в НовоСибе, но она будет в курсе. Я могу объяснитьна чем базируется мое мнение(как я М уже объяснила).1. Изначально была нездорова одна птица. Вторая заразилась от неё. При аспергиллезе такого в условиях квартиры или квартирного вольера не происходит (у вас же не капает по стенам,не ползет плесень по углам, не летает гуано и сопли-как на прицефермах). А вот туберкулез вполне воздушно-капельным путем даже в квартирных условиях мог передаться.2.Иммунка у вас упала уже полтора года как. На аспергиллезе птиц бы уже помер.На туберкулезе может жить долго- если постоянно поддерживать антибиотиками (даже непрофильными),иммуностимуляторами.3.У самца резко вздуто одно легкое- по клинике детей это характерно для туберкулеза. Хотя А тоже может такое дать(агрессивный), но опять же- птиц бы уже ушел за радугу.4.Мозаичный рисунок легких... 5.У самки по центру что-то.похожее на аспергилломы, виднеется.Но ровно так же это может быть и туберкулемы. Ответ даст только анализ. На анализ будет взята кровь,мазок,помет.Проводить будут в Горветлаборатории (ул.Юннатов 16 а), я с ними созвонилась уже. В принципе можно было бы обойтисьь гораздо меньшими проблемами, если бы была туберкулиновая проба.НО! Нет сейчас в Москве малых фасовок птичьего пробника,только по 38 кг (на птицефермах), а отщипнуть не дают. А так- можно было бы поцарапать кожу,нанести пробу и посмотреть результат. Хотя конечно бывают наверное какие-то варианты аспергилл, нетипичные, малоагрессивные, при этом высокоустойчивые к внешним факторам и передающиеся прямо по сухому воздуху московских квартир (26,30% влажности в отопительный сезон). Как известно,только гильотина дает 100% однозначный результат.если будет туб- его лечить уже чисто антибиотиками.с прикрытием системными антмикотиками. лечат долго, но хоть уверенно.
NikaK Опубликовано 10 сентября, 2013 Автор #13 Опубликовано 10 сентября, 2013 (изменено) возмет Марина и отправит в Горветлаб, или мне нужно будет отвезти?брать у обоих или у одного будет достаточно?А я еще слышала, что птицы с туберкулезом у нас в стране подлежат уничтожению? Или я путаю с каким-то другим заболеванием?и еще - деринат в какой форме выпуска, с какой дозировкой? Изменено 10 сентября, 2013 пользователем NikaK
Zosia Опубликовано 10 сентября, 2013 #14 Опубликовано 10 сентября, 2013 возмет Марина и отправит в Горветлаб, или мне нужно будет отвезти?брать у обоих или у одного будет достаточно?А я еще слышала, что птицы с туберкулезом у нас в стране подлежат уничтожению? Или я путаю с каким-то другим заболеванием? Марина сама все возьмет и отвезет.вроде так.Нет,уничтожению- только СЕЛЬСКОХОЗЯЙСТВЕННАЯ птица (не "личного" пользования) с орнитозом (сиречь хламидиозом). У нас даже есть прикрепленная тема- страшилки по орнитозу,Чеширский её в свое время создал,там есть ссылки на все нормативные акты. Вообще птицу, содержащуюся в доме как питомец- никто не имеет права изъять и уничтожить.
NikaK Опубликовано 10 сентября, 2013 Автор #15 Опубликовано 10 сентября, 2013 ага, поняла. Спасибо!тогда в четверг поедем просто, без записи - нас же не долгА.а про обоих везти или у одного если будет - то у второго 100% ?
Zosia Опубликовано 10 сентября, 2013 #16 Опубликовано 10 сентября, 2013 ага, поняла. Спасибо!тогда в четверг поедем просто, без записи - нас же не долгА.а про обоих везти или у одного если будет - то у второго 100% ? Гм... а вы позмоните.Я телефончик дам.
NikaK Опубликовано 10 сентября, 2013 Автор #17 Опубликовано 10 сентября, 2013 Все, сконнектились, договорились - спасибо Вам огромное. Будем сдавать анализы обоих, иммунить и ждать резульатов. По факту буду писать.бедные мои птички((
NikaK Опубликовано 12 сентября, 2013 Автор #18 Опубликовано 12 сентября, 2013 (изменено) Так, была на приеме, взяли кровь, дали две пробирки для помета. Но...позвонита в горвет на юннатов - они сказали, что:1. анализ ТАКОЙ можно сдавать ТОЛЬКО при направление наблюдающего врача...они конечно не откажут взять, но типа это на них вешается ответственность лишняя, и им это не очень то хочется. сказали под паспортные данные - ок, фиг с ними.2. КРОВЬ - НЕ берут на туберкулез... берут смыв из глотки, помет, и что-то еше, я от удивления забыла. Получается что у меня только 1 из 3 анализов... достоверность видимо равна ....и еще посмотрели еще пристально Н.С. и Мария рентген обоих - приказывают лечить орунгалом (+ преднизолон для триши с полиурией, +пробиотик, +АЦЦ в поилку, +мовалис 2 недели, + иммунофан для обоих все кроме 1) ... я еще больше в растерянности... Изменено 12 сентября, 2013 пользователем NikaK
KamaRo Опубликовано 12 сентября, 2013 #19 Опубликовано 12 сентября, 2013 (изменено) NikaK, а туберкулин поставить нельзя? Вроде препарат можно в ветаптеках купить (этим летом извернулась и купила флакончик на 200 голов (в 1 аптеке под заказ удалось найти, в остальных не было), хотя мне нужна была доза всего на 1 птицу - у нас это обязательное требование для получения вет.справки по форме №1).По туберкулину читала - вроде как достоверность в результате высокая. Изменено 12 сентября, 2013 пользователем KamaRo
Zosia Опубликовано 12 сентября, 2013 #20 Опубликовано 12 сентября, 2013 А нет сейчас в Москве туберкулина.искали специально пож этих птиц.мешки на 38 килограмм- есть.Отщипнуть не дают. На птицефермах знакомых таких,чтобы прямо поручкаться- тоже нет. Конечно туберкулиновая было бы просто- на коже лапки или века сделать. А анализ все равно возьмут,т.к. туда поедет чел.который раньше у них работал в лабе.
NikaK Опубликовано 13 сентября, 2013 Автор #21 Опубликовано 13 сентября, 2013 Так. анализ кое-как приняли, и даже кровь...Будет готов вечером - так что жду с небольшим ознобом. Очень удивились, конечно в лабе ТАКОМУ анализу- живым птицам вроде как еще не ставили, только по вскрытию...адрес домашний записали... "добрая" тетенька в аптеке, сказала что от "таких надо избавляться"
Delfin Опубликовано 13 сентября, 2013 #23 Опубликовано 13 сентября, 2013 Поздравляю! , что дальше? где искать?
Zosia Опубликовано 13 сентября, 2013 #24 Опубликовано 13 сентября, 2013 а дальше- принять аспергиллез, так же скорее всего- эмфизему. И пить орунгал и, тут уж пусть НС скажет- прямые диуретики, и беклазоном пользоваться (как астматику).
NikaK Опубликовано 13 сентября, 2013 Автор #25 Опубликовано 13 сентября, 2013 АЦЦ она нам в поилку назначила, я так понимаю это вместо беклазона, а диуретики.. у птички ж вроде и так полиурия - она нам преднизолон сказала. Вообще в первую неделю семь препаратов..... вместе... начинаю завтра лечение, обоим. Боже, дай сил им.
Zosia Опубликовано 13 сентября, 2013 #26 Опубликовано 13 сентября, 2013 АЦЦ она нам в поилку назначила, я так понимаю это вместо беклазона, а диуретики.. у птички ж вроде и так полиурия - она нам преднизолон сказала. Вообще в первую неделю семь препаратов..... вместе... начинаю завтра лечение, обоим. Боже, дай сил им. Я безмерно уважаю Наталью Сергеевну.Но по поводу ацетилцистеина... будьте ОЧЕНЬ осторожны.ОЧЕНЬ. У птицы (самца) чрезмерно вздуто легкое, очень изменен сосудистый рисунок, есть ли внутри экссудат- не видно... поэтому преднизолон КРОМЕ того,что рекомендован НС- еще иметь в шприце. И я бы по-любому ДО дачи орунгала, и перед подачей АЦЦ в поилке- давала бы птице в клюв хотя бы капли две-три сиропа типа кларитина, или кромогликат натрия-пшик в клюв. Потому что имею лично перед глазами (и не один раз) случаи обструктивного отека легких на АЦЦ, который купировался только чудовищными дозами ГКС и антигистаминов, в условиях палаты интенсивной терапии.Т.е. иметь под рукой ВСЕГДА.
NikaK Опубликовано 13 сентября, 2013 Автор #27 Опубликовано 13 сентября, 2013 (изменено) Так, а теперь что бы я не наломала дров.я составила файлик с планом лечения по дням...http://yadi.sk/d/1wmLNkeC9E88Tкуда и что добавить или убавить. Это все по рекомендациям Н.С. но, при всем уважении, она человек занятой - и это все я собиала из писем и 2 бумажек. Что бы не накосячить - все ли нормально?куда и когда дать антигистаминное?подскажите нам пожалуйста, что бы мы не убились(( а! и еще важный вопрос - вот то что утром, и то что вечером - это же нельзя наверное друг за другом в клюв сразу подряд вливать? или можно? птичка уже должна покушать, перед приемом препаратов? Изменено 13 сентября, 2013 пользователем NikaK
NikaK Опубликовано 14 сентября, 2013 Автор #28 Опубликовано 14 сентября, 2013 утренний план вливаний выполнен, как могла - разнесла по времени, чувствуют себя пока хорошо. Сегодня и завтра будут конечно под наблюдением, но вот с понедельника... утром волью и до вечера.а обструктивный отек - как быстро может развиться? и после какого объема препаратов?
Zosia Опубликовано 14 сентября, 2013 #29 Опубликовано 14 сентября, 2013 а обструктивный отек - как быстро может развиться? и после какого объема препаратов? Немедленно, после даже малого количества. Если не успеть ввести антигистамин- смерть в течение 20 минут.
NikaK Опубликовано 15 сентября, 2013 Автор #30 Опубликовано 15 сентября, 2013 сегодня второй день по вышеописанной схеме - ттт! - все вроде без проишествий... надеюсь и дальше так же будет. а аспергиллез- -так же, ничем 100% не подтверждается у живой птицы?
Zosia Опубликовано 15 сентября, 2013 #31 Опубликовано 15 сентября, 2013 сегодня второй день по вышеописанной схеме - ттт! - все вроде без проишествий... надеюсь и дальше так же будет. а аспергиллез- -так же, ничем 100% не подтверждается у живой птицы? Подтверждается, но не всегда.Кишечный- легко,легочный- очень трудно. Рентгеноскопически- при наличии аспергиллом явных (тут как раз обязательно дифференциировать от тубекулеза,т.к. он дает туберкуломы,похожие немного на аспергилломы).Вздутые легкие и мешки,наличие жидкости в них,тяжелое и мелкое дыхание, ослабленность,упавшая иммунка.Т.е. часть симптомов- косвенная и может быть неоднозначна.(Микоплазмоз напрмиер,который у вас исключали в первую очередь).
NikaK Опубликовано 16 сентября, 2013 Автор #32 Опубликовано 16 сентября, 2013 Ага, поняла, спасибо.Тогда спокойно продолжаем лечение, сколько прописали.Пока отрицательных симптомов не наблюдаю. Молодая птица с более плохим рентгеном бодра и весела как обычно, мой "старичок" - также флегматичен как обычно, помет в норме. Будем надеяться, что все так и дальше пойдет.Спасибо большое, что помогаете нам
NikaK Опубликовано 24 октября, 2013 Автор #33 Опубликовано 24 октября, 2013 итак, прошел месяц лечения орунгалом со всеми сопутствующими мероприятиями. Что имеем - полиурия таки все ж имеет место быть у Триши (у которой картина хуже), у Джека опять проснулось адское желание пожирать бумагу (сепия, камни и ветки так не интересует, как подстилка). Настроение - Джек немного вяленько-флегматичный, ну как последние 2 года. Триша поспокойней. Какая схема дальше?К доктору нам наверное надо на очередные повторные анализы?Или повременить после орунгала, как и после антибиотиков сразу не идут сдаваться?И еще, по поводу появившейся туберкулиновой пробы - мы отдавали в горветлаб помет и кровь на туберкулез, нам сделали очень быстро и вручили красивую справку с голографической наклейкой - туберкулез не выявлен. Имеет ли нам смысл сделать эту пробу, или уже считать что этого точно нет?
Zosia Опубликовано 24 октября, 2013 #34 Опубликовано 24 октября, 2013 итак, прошел месяц лечения орунгалом со всеми сопутствующими мероприятиями. Что имеем - полиурия таки все ж имеет место быть у Триши (у которой картина хуже), у Джека опять проснулось адское желание пожирать бумагу (сепия, камни и ветки так не интересует, как подстилка). Настроение - Джек немного вяленько-флегматичный, ну как последние 2 года. Триша поспокойней. Какая схема дальше?К доктору нам наверное надо на очередные повторные анализы?Или повременить после орунгала, как и после антибиотиков сразу не идут сдаваться?И еще, по поводу появившейся туберкулиновой пробы - мы отдавали в горветлаб помет и кровь на туберкулез, нам сделали очень быстро и вручили красивую справку с голографической наклейкой - туберкулез не выявлен. Имеет ли нам смысл сделать эту пробу, или уже считать что этого точно нет? А вы Маше позвоните, она же вроде вас ведет.Но вроде у вас как раз все было ей понятно...
NikaK Опубликовано 24 октября, 2013 Автор #35 Опубликовано 24 октября, 2013 понятно то... относительно. симптомы же остаются...(
NikaK Опубликовано 10 ноября, 2013 Автор #36 Опубликовано 10 ноября, 2013 Продолжу тему.Пропили месяц все назначеное (орунгал, что там, пробиотик, иммуно стимулятор)после лечения спустя неделю опять повыпадали перья. Преимущественно хвост и подхвостье у Джека, красненькие снизу вообще три осталось. У Триши все разные, со всех мест. Так же у нее сохраняется полиурия и одышка в большой степени.Вот новые исследования. Ждем анализ на вирусы цирко- и еще какие -то 2(((
Рекомендуемые сообщения
Для публикации сообщений создайте учётную запись или авторизуйтесь
Вы должны быть пользователем, чтобы оставить комментарий
Создать аккаунт
Зарегистрируйте новый аккаунт в нашем сообществе. Это очень просто!
Регистрация нового пользователяВойти
Уже есть аккаунт? Войти в систему.
Войти