Перейти к содержанию
Место для вашей рекламы

 

У голубя не работает лапка


Рекомендуемые сообщения

Опубликовано (изменено)

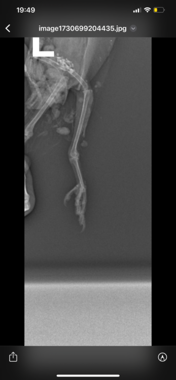
Здравствуйте, неделю назад возле автомобиля обнаружила голубя , лежал на левом боку и не мог встать. Я подумала что сбила машина, взяла его к себе. Съездили к орнитологу , он пощупал лапки , сказал возможно это связано с нервной системой , либо повреждена левая лапа. Голубь, взлетает без проблем. Но не упирается на лапы , теряет координацию и падает + постоянно вся попа в 💩. Кушает хорошо и пьет водичку самостоятельно. Сегодня смотрю , упирается на правую лапу , а левую вытягивает прямо назад. 
На всякий случай купила витамины, добавляю по капельки в водичку. Голову не запрокидывает.  Фото рентгена прилагаю. Кто сталкивался с подобным ? Что может быть ?

 

 

 

 


Это может быть какая-нибудь инфекция ? Помогите пожалуйста 🙏 
Анонимно

IMG_1185.png

IMG_1184.png

IMG_1183.png

IMG_1182.png

IMG_1181.png

Изменено пользователем Smtr98
  • 3 недели спустя...
Опубликовано

Возможно есть повреждение бедренной кости- выбита или перелом головки.

покой,

обезболивание (мелоксикам 0,2 мг/кг, 3-4 недели,ненатощак),

хондропротекторы (артрогликан, 1/4 таблетки в сутки. 40 дней)

остеогенон, 1/20 таблетки в сутки, 40 дней.

Помет- на анализ (микроскопия, оно же общий анализ помета, оно же копрограмма)- просто по факту "уличности" птицы.

Вот пример хорошо выполненного провинциального анализа

https://public.fotki.com/Shemlik/8j7d3/202b.html  

Далее- по результатам анализа (может есть простейшие или геьминт).

Для публикации сообщений создайте учётную запись или авторизуйтесь

Вы должны быть пользователем, чтобы оставить комментарий

Создать аккаунт

Зарегистрируйте новый аккаунт в нашем сообществе. Это очень просто!

Регистрация нового пользователя

Войти

Уже есть аккаунт? Войти в систему.

Войти
  • Последние посетители   0 пользователей онлайн

    • Ни одного зарегистрированного пользователя не просматривает данную страницу

×
×
  • Создать...
© MyBirds.ru, 2003 - 2026

Все материалы данного сайта, в том числе структура расположения информации и графическое оформление (дизайн), являются объектами авторского права. Копирование информации на сторонние ресурсы и сайты сети Интернет, а также любое иное использование материалов сайта без предварительного согласия правообладателя НЕ ДОПУСКАЕТСЯ.

При копировании материалов сайта (в случае получения согласия правообладателя), размещение активной индексируемой гиперссылки на сайт обязательно.