Перейти к содержанию
Место для вашей рекламы

 

Поиск

Показаны результаты для тегов 'отравление?'.

  • Поиск по тегам

    Введите теги через запятую.
  • Поиск по автору

Тип контента


Форумы

  • Первый раз на форуме - пиши сюда
    • Общий раздел для новичков
  • Ветеринарная медицина
    • Болезни и лечение птиц
    • Самоощипывание и проблемы с оперением
    • Птичий грипп
    • Лечение птиц нетрадиционными методами
  • Общие вопросы содержания птиц
    • Клетки, жердочки, игровые стенды и пр.,
    • Окружающая среда
    • Опасности
    • Уход за птицей
    • Птичья игротека
    • Прогулки, поездки, отпуск с птицей и без
    • Взаимоотношения птиц и других членов семьи
    • Поведенческие, физиологические и анатомические особенности пернатых
    • Выбор птицы, вопросы о документах и средствах идентификации
    • Всякое разное о наших птицах
    • Инвентарь заводчика. Технологии разведения
  • Психология и поведение птиц. Приручение и воспитание птиц
    • Информационный раздел
    • Психология и поведение птиц. Язык тела птиц
    • Приручение птиц. Воспитание и коррекция поведения птиц
    • Трюки: обогащение социальной жизни птиц, содержащихся в неволе, через развлекательное обучение
    • Индивидуальный опыт форумчан в воспитании и обучении пернатых питомцев
  • Попугаи
    • Жако
    • Амазоны
    • Какаду
    • АРА
    • Эклектусы
    • Кольчатые попугаи
    • Кореллы или Нимфы
    • Волнистые попугаи
    • Неразлучники
    • Аратинги и другие попугаи Южной и Северной Америки
    • Длиннохвостые попугаи Австралии и Океании
    • Длиннокрылые попугаи Африки
    • КакарИки
    • Щеткоязычные попугаи
    • Разведение попугаев
  • Кормление попугаев
    • Общие принципы составления рационов попугаев
    • Изменение или коррекция рациона
    • Зерновые смеси
    • Мягкие корма
    • Овощи, фрукты, ягоды, зелень
    • Лакомства
    • Питьё
    • Витамины и минеральные добавки
    • Пищевые опасности
  • Амадины, астрильды, амаранты
    • Общие особенности содержания
    • Зебровые и японские амадины
    • Амадины Гульда
    • Рисовки
    • Другие виды амадин, астрильды и амаранты
    • Жизненные истории
  • Певчие птицы
    • Общие вопросы содержания певчих птиц
    • Певчие птицы. Видовое многообразие
    • Скворцы и майны
    • Канарейки
    • Разведение певчих птиц
    • Птенцы и слётки певчих птиц в руках человека
    • Наблюдение за певчими птицами в природе. Природоохранные мероприятия
    • Дневники любителей певчих птиц
    • Архив певчих птиц
  • Стрижи и ласточки
    • Содержание стрижей в домашних условиях
    • Найден взрослый стриж
    • Выкармливание птенцов стрижей
    • Птицы души. О стрижах с любовью
    • Ласточки
  • Врановые
    • Общие особенности содержания врановых
    • Хочу завести врановую птицу
    • Кормление врановых птиц
    • Мастерская
    • Особенности поведения птиц в домашних условиях
    • Врановые в природе
    • Про наших птиц
    • Черный вОрон
    • Серые и черные ворОны, грачи
    • Галки, сороки, сойки и другие мелкие врановые
    • Птицы ищут себе хозяев
  • Пернатые хищники
    • Дневные хищники
    • Совы
  • Голуби
    • Голубеводство
    • Домашнее содержание голубей
    • Домашние голуби
    • Городские голуби
    • Дикие голуби и горлицы
    • Лечение голубей
    • Голуби в литературе и искусстве
  • Куриные
    • Общие вопросы по куриным
    • Декоративные куры
    • Фазаны, перепела, павлины и пр..
  • Водоплавающие и околоводные птицы
    • Домашние породы водоплавающих птиц
    • Дикие гуси, лебеди, утки и другие водоплавающие
    • Чайки и крачки
    • Околоводные птицы (кулики, цапли, аисты и др.)
    • Журавли
    • Наблюдение в природе водоплавающих и околоводных птиц
  • Другие птицы
    • Пастушковые
    • Дятловые
    • Козодои
    • Другие птицы
  • Птицы в природе
  • Птичье сообщество
  • Непернатые питомцы
  • Общение

Блоги

  • О быте и бытие.
  • Кое-что из жизни Бруно
  • IRA
  • Малышовые заметки
  • Лавка антиквара
  • Drakosha
  • Den.
  • Мои птицы
  • Zourg
  • Яэль
  • Евгения
  • Emily's blog
  • Лаборатория доктора Франкенштейна
  • margarit
  • Partizanka
  • Corvus Corax
  • Kseniya
  • Poohy
  • Karlusha
  • Артём
  • -
  • Bazilio
  • Morph's Blog
  • Forpus: начало
  • любительница животных's Blog
  • Ожереловый Васик
  • Мои хорошечки-пригожечки
  • Парк птиц "Воробьи"
  • КРЯКА-КАРЯКА's Blog
  • Жизнь Бонапарта
  • Мерри's Blog
  • Abikovka & Шерлок
  • Здоровье Птицы
  • DOK's Blog
  • Школа попугаев Игоря Маскина
  • olegvs' Blog
  • LarsonBudik's Blog
  • Карлуша и я.
  • Lucky Lady
  • Московски клуб " Русская канарейка"
  • Taha's Blog
  • Наблюдения за разноцветными птеродактилями
  • Korellator's Blog
  • sefim's Blog
  • Alijon's dairy
  • О птичках
  • Юленька-и-Рома's Blog
  • Бривух, ушастый сов
  • solicy's Blog
  • Ирина М.'s Blog
  • Irina07's Blog
  • Питомник попугаев"Amazona"
  • Liiki's Blog
  • Hallveig's small parrots
  • расальгети's Blog
  • Shusha's Blog
  • Kalison's Blog
  • victor27's Blog
  • tsylib's Blog
  • RIGAN's Blog
  • ЕленаГ's Blog
  • ksyushka's Blog
  • NeOne's Blog
  • Прогулки с Вороном
  • Гузель's Blog
  • Когда мы понимаем зачем живем
  • Scar's Blog
  • Русик's Blog
  • андрюха's Blog
  • pticka's Blog
  • Sashel's Blog
  • Лохматый's Blog
  • мирка's Blog
  • liagusha's Blog
  • немножко про Жакошку
  • luxul's Blog
  • Кеша, Рика и Петруша
  • барби's Blog
  • nebulosarii's Blog
  • КОНСТАНТИН's Blog
  • dasiopia
  • Два ожерельца, сенегал
  • безумная семейка :-)
  • Мимас's Blog
  • Дневник желтенькой Лямочки
  • SleepingSun's ОСОЕД
  • Дневник
  • FOX's Blog
  • Птицы.
  • Солнце взошло! :)))
  • Чердак Рёко
  • Ягдаш's Blog
  • баранка's Blog
  • БУМАЖНЫЕ КРЫЛЬЯ
  • Polik's бред
  • TAU
  • Дашулька's Blog
  • Чеглок
  • lucik's Blog
  • Укушука и др.
  • Квартирные австралийцы и белопузик (пока пусть так называется)
  • Василек's Blog
  • Дневник Б. Ительги
  • MaSHka's Blog
  • Бред!!!
  • Таша's Blog
  • Светуля's Blog
  • Натэлья's Blog
  • мяфка-шкодная's Blog
  • СОЗРЕЛИ ДО ПОПУгАЙЧИКА
  • Бродяга's Blog
  • Домик на опушке леса
  • КЕША's Blog
  • 3aHyga's Blog
  • Черно-белый хулюган(ка)
  • Случайные птицы
  • ~Libelula~'s Blog
  • Федор Михалыч в гостях...
  • menx's Blog
  • Ненеглядные чирикпикалки
  • Columba livia и др.
  • ju2-ju2's Blog
  • Милана's Blog
  • /
  • nimfagoda's Blog
  • Тёпа-попугайчик
  • Button's Blog
  • Размышления вслух
  • Оля и Кузя's Blog
  • Дневник ЗЕВСА
  • Сказка о Царевне (не лягушке).
  • Мои первые птахи
  • Natalja's Blog
  • Yulia1702's Blog
  • Часы с Совой, или ЧудЫ в перьях
  • Краснохвостик Яшенька
  • Жуча's Blog
  • karama's Blog
  • мои птички
  • О несчастных и счастливых, о добре и зле
  • Записки краснохвостого жако или хождение по мукам
  • Сашульчик
  • охотник's Blog
  • Кирьян и Арчи
  • Будни Будильника
  • Levcha's Blog
  • Под одной крышей
  • April's Blog
  • СВЕТКАчка's Blog
  • Хотю амазончега
  • Пернатые друзья!
  • Смолка's Blog
  • Гера Кремов режиссёр
  • Svetik_Cvetik's Blog
  • Anton Goncharov's Blog
  • Кузя и Рома
  • Дул ветер, плакала трава...
  • Волжанин's Blog
  • eva-elena8's Blog
  • Джульетта's Blog
  • Анжелла's Blog
  • Я и Веня
  • Неразлучные хулиганы и корелл Лёха
  • Gyga's Blog
  • "Заповедник маленьких зверушек"
  • Настена и Рома's Blog
  • Наяна и копмания
  • Lolo и Pepe
  • Мои Шиллеры
  • Зверье мое
  • Anyuta's Blog
  • Надя и Красотка's Blog
  • Ars i Gosha
  • Flying Parrot's Blog
  • Валентин's Blog
  • Алёнушка's Blog
  • ПРО100Саша's Blog
  • фотоохота
  • Not an Angel's Blog
  • Счастье с ошибкой
  • obezianka's Blog
  • Pilot Mark's Blog
  • triOkami's Blog
  • мона's Blog
  • Bugra's Blog
  • Vadim_b's Blog
  • Валентина Васильевна's Blog
  • Дневник Эстонии
  • Мить's Blog
  • Миша's Blog
  • lasol & Cara
  • Мои фотозарисовки
  • GaponJane's Blog
  • Моё чудо!
  • Занятия с Ромой
  • Рёма, Рюша и Жоша
  • allite's Blog
  • Дневник моих волнушек.
  • коробочка с тараканом
  • Дайка - любимая сорока =)
  • makver's Blog
  • Обсидиан's Blog
  • Кексюшка's Blog
  • Кешка
  • abia's Blog
  • Transformation
  • ...
  • По лезвию ножа.
  • SAI's Blog Любимцы
  • Летопись Странствий
  • Акбара's Blog
  • accipiter01's Blog
  • kucheravaja's Blog
  • Нусена's Blog
  • Персей и мы
  • Зверьё моё
  • grotesque Blog
  • Фуня Поварёшкин
  • АК - 47's Blog
  • Boris7's Blog
  • Serik's Blog
  • Миледи's Blog
  • Корелла Polly
  • Ksenija's Blog
  • Вороненок ищет хозяина
  • По секрету всему свету.
  • Трудоголик's Blog
  • lenokrus' Blog
  • Erkenova & Dimka
  • vikadk83 Блог
  • Наш Петрушка
  • Жора-зеленая птица.
  • буранный
  • Волошкин's Блог
  • + Отличное Настроение
  • Izida Блог
  • Кукузякин дневник
  • кариша Блог
  • ksiuny Блог
  • ...
  • Противостояние наземных с летающими.....
  • Pautinka Diary
  • adv74 Блог
  • Ярослава7 Блог
  • Yulya_F Дневник
  • Попугай Айзик
  • Ромусик
  • Тошка-неразлучница
  • Юляwdes Дневник
  • ellyanya Дневник
  • Я, Джеки и Ки-ки!
  • ДИВА Дневник
  • ЕКАТЕРИНА К. Дневник
  • масяничка Дневник
  • Кеша-рачок – спокойный попугайчик
  • Мои друзья пернатые
  • Жизнь моих пернатых
  • Шалопай Кирюшка
  • Дневник Маленькой птахи
  • Зигмунд
  • Дневник Папы Карло
  • Петруша
  • Холли и Джерри
  • Сова Ежи
  • MGK Дневник
  • NATALI Дневник
  • Алексеева Анна Дневник
  • Gelladilemma Дневник
  • Хроники Киры
  • bolya Дневник
  • ~История моих попикоВ~
  • evggor
  • Моё серое чудо.
  • Птички, птички, птички
  • gr_k Дневник
  • Ромка, Ромик, Ромэо... Это всё он! :)
  • p@nter@ Дневник
  • Громмушка любовь моя
  • Дневник наших корелл
  • Шикунечка Дневник
  • Амадиновна Дневник
  • luli Дневник
  • Heliga Дневник
  • Крутой попугай Дневник
  • Жаклин и Пьер.
  • Кеша и Даша (волнистики) + Петруша (Корелла)
  • Надоедливый и приставучий
  • Живет воронка
  • Мой питомец
  • Житие мое
  • witek132 Дневник
  • John_Jones Дневник
  • Яшка - мой волнистик
  • Наш волнистик Гоша
  • komilena Дневник
  • многодетный папаша
  • Черри и я
  • Лучшее средство от одиночества!!!
  • поговорим о птичках
  • Дневник Рика и Вики
  • Вера.Н. Дневник
  • Мои такие разные птички!
  • Дневник моих пухов
  • boarder Дневник
  • тамарусик Дневник
  • Дядюшка Яков и все-все-все
  • Лианна Дневник
  • Зелёное семейство пухов
  • Natallia Дневник
  • Arriva Дневник
  • irina08 Дневник
  • Одноногая и компания
  • Дневник Лорки
  • Гордая птичка
  • Компромат на птиц
  • Про Яшу
  • Юрик Дневник
  • Scharki Дневник
  • Овсяночка Дневник
  • Ромочка Дневник
  • Дневник Melopsittacus undulates:-)
  • Аида Дневник
  • голодный понь Дневник
  • Дневник корелла Мики
  • Наш любимый Гришечка
  • melodika Дневник
  • ktkmrf Дневник
  • Заметки "новобранца"
  • ЧиФ
  • Снежик
  • ashelepov66 Дневник
  • Рисовые птичкарики
  • Дневник (из) курятника
  • Mikellangelo. Дневник
  • MeLkiY_VIP Дневник
  • Оюми Дневник
  • cdtnkfyf Дневник
  • Allya Дневник
  • Кешустрик
  • corvi cantus
  • наш дневничёк
  • galinka74 Дневник
  • Саша и Миша
  • Парочка волнистиков
  • liya канарейки
  • Чудо в перьях!
  • Рукавичка Дневник
  • Cенегал
  • alex97 Дневник
  • Дневничок наблюдений
  • Волнистый дневник
  • история жизни Шуси, Кеши и Юли
  • Limon
  • cyman Дневник
  • Karlos Дневник
  • дневник Kortni
  • Дневник Kontrterrorist
  • Рюук и мы =)
  • Green heart Дневник
  • История одной птички.
  • petrusha Дневник
  • Мои Пушочки
  • Евгений Руб Дневник
  • Natali.iv Дневник
  • red1911 Дневник
  • Мой маленький домашний зоопарк
  • Фермер и его подворье
  • Котомки Ноя
  • Дневник синицы Синьки
  • HappyJulyett Дневник
  • Пипетка и три Попика)))
  • the end
  • Гошкин дневник
  • Печень
  • Дневник
  • карелла ЛАПУСИК
  • ПОПУГАИ ПРОВИНЦИИ
  • Blackbox Дневник
  • "Русский пушистый"(с.)...
  • Дневник Яшеньки и Стёпочки Крылышкиных
  • Мой японский амадин Рыжик
  • Women Дневник
  • 11170 Дневник
  • Стайка Чирика
  • Рикки - красавец!
  • Птичий угол
  • Птица Счастья Дневник
  • Кварк и Кеша
  • Моя стая
  • Дневник Глаши
  • Твич очень сильный! Но лёгкий.
  • Наша стая
  • Котька Дневник
  • Волнистик Петруша, г. Киев
  • Феникс ясный сокол
  • Грушка и Полик
  • ЛАСКОВАЯ_МИЛАЯ Дневник
  • Венесуэльский амазон Аполлоша
  • Marlen Дневник
  • Киса377
  • TANYA1987 Дневник
  • Тошамания
  • Чуча
  • shopbody.ru Дневник
  • AmeGirl Дневник
  • СЛОВО НЕ ВОРОБЕЙ...
  • Живой уголок и я
  • Райский сад
  • Волнистик
  • Мой птичий блог!
  • Дневник птицелова
  • Про маленьких какадушек)))
  • Onix Дневник
  • Снегири дома
  • Orhi Дневник
  • ИЧИ И ЕЕ ДРУЗЬЯ
  • Агуша Дневник
  • Tnadin Дневник
  • rozovaja_pantera Дневник Ашхи
  • Тюша и мы
  • kidma Дневник
  • ДРЕВЛЯНИН-Р Дневник
  • По закону жизни
  • Разведение попугаев
  • Моё Чудо в перьях.
  • MOLLIKины птички
  • Диана Love Дневник
  • Че)))
  • Тошка
  • vikki2307 Дневник
  • Пётр
  • Oks Дневник
  • Волнистики и ожерелик
  • Питание попугаев.
  • фреска Дневник
  • ifoma Дневник
  • JPLEX Дневник
  • 9 (+4) птичей и Жирафчег
  • Дневник, или в поисках радуги
  • natik77 Дневник
  • Рома
  • samolili Дневник
  • Patevs Дневник
  • Жизнь Клёпы
  • leno4kazelenina Дневник
  • Маленький безумный зоопарк
  • Мой Дневник
  • Леля777 Дневник
  • Наш с Чикулечкой дневник
  • Jamilja
  • РИКИ и ЧИКА
  • Любимые пончики.
  • Необычный подарок
  • Евочка - девочка (Эклектус)
  • Мой Петруша
  • Жизнь кореллок
  • Сержик и зоопарк
  • Шелест, Рокси и Чилли
  • ***
  • Яшка-Муромец
  • Мои питомцы
  • Будни и праздники птичьей семьи
  • Наш любимый попугайчик
  • Птичья банда
  • -
  • мишенька Дневник
  • Мои драгоценности - Рика, Нюша, Дрюша и Арчи!
  • Моя "РАДУГА НАСТРОЕНИЯ"
  • usik_m Дневник
  • Nysha Дневник
  • птицы на улице
  • Дневник
  • Наша разная компания
  • Ирина&Александр Дневник
  • Nicon Дневник
  • Alis@ Дневник
  • Kaaap Дневник
  • Мой долгожданный попик
  • gadget Дневник
  • Lidik2005 Дневник
  • Мои самые любимые питомцы!!!!
  • StaffLin Дневник
  • Svetasas Дневник
  • Мое серое чудо
  • Lerois Дневник
  • Чили - каким он вырастет?
  • Курица лапой
  • жакоша-жора Дневник
  • 4elove4eGgG Дневник
  • Гоша+Леся Дневник нашего жако
  • Мои радости
  • Виктори Дневник
  • KristiKiska Дневник
  • Анютка-малютка Дневник
  • c1kl Дневник
  • Летопись кореллы - моей первой птицы
  • Apa Дневник
  • Дневничок Дрейва
  • jannavb Дневник
  • Про наших птичек
  • A-On
  • Assol Дневник
  • kseniyaksu1 Дневник
  • elenasava Дневник
  • О моих птичках.
  • annfeti197a Дневник
  • Нора!
  • АНННННЯ Дневник
  • Lyalka Дневник
  • Дневник Lola&Jora
  • Кузёма-Птенчик
  • stich_133 Дневник
  • Honza The Lovebird
  • Ника и Ворон
  • ПРОДОЛЖЕНИЕ следует...
  • Agasha Дневник
  • леруня Дневник
  • В поисках птичьего счастья
  • pigeon) Дневник
  • ja-ja Дневник
  • LLarissa Дневник
  • зачистка с серенадами
  • РыжаяБестыжая Дневник
  • Дневник Вуди и Маркуши
  • Рони и Проша
  • ЯГА Дневник
  • Ожерелик Joy....
  • Кеша - зеленый говорун
  • Найденыш
  • Рикки, Тикки и другие
  • Дневник STACIE__89 & Кирюша
  • Olinka Дневник
  • Изюшка Дневник
  • Дневник впечатлений за каждый день)
  • marinalife's Дневник
  • Мои домашние питомцы
  • Дневник Лизы
  • зверье мое
  • Мои пернатая банда
  • Дневник жако Мартина
  • kroxa(маленькая птичка)
  • Валечка Дневник
  • Жаник и его будни ;)
  • МАСЯНЯ - летучий мультик!
  • гринго 77
  • Дневник моих корелл
  • Александр48 Дневник
  • В поисках птичьего счастья
  • Я и мой Пончик
  • Карелла Чита и другие
  • Тума - предводитель скраллов
  • Дойна Дневник
  • Дневник жако Бенито
  • Вера
  • Дневник powerofring
  • Зверьё пернатое.
  • Animal Planet
  • Мой пернатый друг
  • Николаевич Дневник
  • Parnishka Дневник
  • Sarancha Дневник
  • Мои Нимфы
  • Крекер - птичка
  • Константин R-com Дневник
  • ГулЕна - особенный голубь)
  • dsfsdfsdfsdr Дневник
  • .
  • Ася и Юки.
  • Прошка
  • марина.ку Дневник
  • Жако Гоша. Сплошной сюрприз!!
  • Разведение попугаев.
  • balfur Дневник
  • Елена Роз Дневник
  • Sida008 Дневник
  • vas-elisyutikov Дневник
  • anutka) Дневник
  • Красоты жизни
  • Сеня и Ася
  • Я и Жустик)
  • Asi20061 Дневник
  • Жизнь и приключения удивительного волнистика Денди
  • Питомцы Юстаса
  • Гочи-карелльский партизан
  • FinE Дневник
  • Корвин и Лира
  • Гриня от слова "green"
  • C-fateev Дневник
  • Привыкаем жить с волнистиком.
  • Жизнь с птицами
  • Lyudmilanatali Дневник
  • Спасти жизнь вороне!
  • наблюдение птиц
  • Ленечка и Кешаня
  • Птенчики волнистого попугая
  • Ника
  • TANUA Дневник
  • Гарик
  • *Фотокарточки*
  • Н@юШкА Дневник
  • Волнистые будни пары пухов
  • Розовощекий Манго
  • Пушистый мальчик Петруша - попугайчик
  • ss5 Дневник
  • Виталий Андросенко Дневник
  • Пумба, просто Пумба
  • Клеопатра и Антонио
  • Наш Бублик
  • Мои волнушки
  • Принимайте в стайку Боничку
  • грустный Дневник
  • Волнистые попугайчики моего дома
  • Моя пернатая душа
  • Сладкая парочка Славик и Ося
  • yanr Дневник
  • Птицы тоже люди
  • Перся и все все все
  • Мои питомцы
  • Мои кореллки
  • Неожиданное счастье
  • В гостях у попугая
  • Мои зверушки
  • Сергей76 Дневник
  • cheglok Дневник
  • Only
  • Мы с Кешей, а теперь ещё и Вовчиком
  • клава Дневник
  • Синяя птица Дневник
  • Дневник валнушки
  • Яша (Yandex) и Гренка
  • НаШа РаШа
  • Amazona Дневник
  • Жако Петрушка и мы
  • Наша пернатая жизнь.
  • зоопарк в одной комнате
  • Дневник Павла Гусева
  • Без названия.
  • Гоша и друзья
  • ElenaMAMA Дневник
  • Жако Пуня и другие
  • Зеленка, Крош, Рита, Спанч
  • Птичуня
  • Кеша, Юленька, Тася
  • UTOPIA Кусочек неба в моих руках.
  • SkyBird Дневник
  • светик31 Дневник
  • Яша-щебетун
  • Малыш Яшка
  • Olga07 Дневник
  • Соня Ресничкина Дневник
  • От клюва до хвоста
  • В погоне за мечтой
  • Волнуют мое сердце
  • Карлуша и Голубчик
  • Мой дикий жакоша
  • Жоркин дневничок
  • Мои любимые волнушки Кешуня и Тишулька
  • Наша жизнь и наши птички
  • Пушистый дневник
  • victory Дневник
  • Мой маленький но растущий питомничек
  • наталия48 Дневник
  • Irinkaa Дневник
  • MulledWine Дневник
  • Ларри и Ко
  • Маски-Фишки шоу
  • Дневник Евгения и Марины Шенцовых
  • Александр1804 Дневник
  • КУЗЯ
  • Моя семья и другие животные
  • Серамыш Дневник
  • Мой "курятник"
  • О моих питомцах
  • Ния Дневник
  • Птицы - единственные полноправные граждане мира...(с)
  • Senorita Дневник
  • Дневник моей забияки
  • Lakshmi Дневник
  • жаконя и к Дневник
  • Про девочку Машу и мужское царство
  • Ожерелик Букля
  • Дневник Маргариты Эрмор
  • EkateRin@ и зверинец:-)
  • KisandFling Дневник
  • Наталья @ Дневник
  • Стас Смолин Дневник
  • natallka Дневник
  • Многодетный любящий отец
  • Певчие птицы
  • Записки воронопаса :)
  • Наши пернатые друзья
  • ЧирРикало Дневник
  • хроники канюка
  • Аська и Лимон
  • ГаПС Дневник
  • Клепа и компания
  • Птичный чайник
  • Домовёнок в перьях.
  • Страничка Пушистика и Сони
  • люська53 Дневник
  • мой Кларушка
  • Habriel Дневник
  • Жизнь пары ар в квартире
  • В гостях у Дабба.
  • vvlada74 Дневник
  • Дневник о жизни, птицах и не только)
  • Заберите меня из этого зоопарка!
  • vladi0361 Дневник
  • птичий твиттер
  • Волнистые тени..
  • Пернатая радуга
  • юля9112 Дневник
  • marchella Дневник
  • Цезарь
  • Ни о чем ...
  • Иннокентий - радужное чудо
  • Мои маленькие пушистики.
  • Натюрморты с вороной ("птица ворона")
  • Белый Клык Дневник
  • Lenushka и двое
  • Я и моя пернатая семья
  • Жизнь рядом с птицами
  • калерия Дневник
  • новый вран
  • Наша зелень
  • мой дневник. заметки, истории, наши будни.
  • Волнушечно-корелльская летопись
  • Заметки о проказнике Рони
  • Птицы счастья в радуге моей мечты :)
  • YaNovo4ka Дневник
  • Ночная братва
  • Волнистая жизнь
  • birds Дневник
  • Щурка золотистая Дневник
  • Рагнар
  • OLG@KALUG@ Дневник
  • Тестовый Дневник
  • Зарисовки лисицы
  • Дневник Дилетанта или Жизнь в Стае.
  • Angel_ica Дневник
  • Пафнутий. Дневник наблюдений и размышлений.
  • Мои любимые пернатые
  • Rik-Elena Дневник
  • Дневник жакошки Кари Борисовой
  • Варчик и все-все-все
  • Солнечная крошка
  • Маришка20 Дневник
  • Мои детки: Гуглик и Мазилка))
  • Wahmurka Дневник
  • Кешка -ЦЫПЛЕНОК
  • elvira888 Дневник
  • Сладкая парочка - Рэй и Галушка
  • Пушистое солнышко Дневник
  • Данечкина радость
  • Моя солнечная радость Зазушка
  • Черная*_* Дневник
  • Agapornishall
  • Жан Жак 35-тый
  • Сид и почти Нэнси
  • Какарики - солнечные зайчики
  • мои попугайчики
  • pepetka94@mail.ru Дневник
  • Wikki Дневник
  • Жизнь и приключение воробыша
  • Перестал ходить
  • Zulfiya Дневник
  • има Дневник
  • galiuniaaa Дневник
  • Темнышкин дневник
  • Моя весёлая семейка
  • О членах семьи
  • Мои домашние любимцы
  • gaida Дневник
  • Ragned Дневник
  • Мои пернатые радости
  • Деткинамама Дневник
  • Hemp Дневник
  • Огромный мир в паре маленьких глазиков
  • Воинственная королева и маленький принц
  • Викаша Дневник
  • kochmaria Дневник
  • Спасти Птиц!
  • Грач Карл Иваныч (для знакомых Карлик)
  • Птички - крошки
  • чижик - классный попугай!
  • Crow Sapiens
  • Mother_of_Cats Дневник
  • Шурик
  • Мой дневник
  • Сорочан Лелик.
  • Orangebrains Дневник
  • А что это за чудесный питомец у вас тут?
  • Тютють и Фифить )))
  • Живет в квартире попугай...
  • rsn96 Дневник
  • Жако дикарь Тимоша.
  • Карл, Карла и Иннокентий.
  • Maria_Vladimirovna Дневник
  • Тишасик. А с 20.11.15 + Лолита
  • ellka- Мои какаду в миниатюре
  • Фильмы о моих птичках
  • Пискунистан
  • В гостях у Кеши и Нюаж
  • Перья и Хвосты
  • babalena Дневник
  • Алинушка Дневник.
  • Мои малыши :)
  • Воробушек Чика
  • ирина Дневник жако
  • NeValyushka Дневник
  • Мои питомцы
  • Дом Попугаев
  • Мои птички
  • Монах и Волнистик
  • Пуночка Дневник
  • Лимон и Перлуша
  • LazepBass Дневник
  • lenser Дневник
  • Наталия2008 Дневник
  • Дневник - shepoopochka
  • Заметки из жизни птиц
  • Госпиталь для птиц
  • Байки о моих пернатых
  • Кирюшка-Хрюшка
  • птица говорун.....
  • Попугайчики Кеша и Маша Дневник
  • Vafelka Дневник
  • Веселая малышня
  • Болотная сова Маша. Другая жизнь.
  • VANDA2219 Дневник
  • Заметки о стрижах
  • Лепрозорий
  • Ворон Джек. Дневник
  • [ВКонтакте] Клара | Серая ворона в доме.
  • Инессик LUNAR LAKES
  • Дневничёк Микки ,Чикки и Коула
  • Птенчик-александриец
  • Luminous Дневник
  • Варька и Сахарок
  • История одного помешательства
  • Полёт моёй души
  • Питомник попугаев Лори
  • Дневничок Малыша
  • Шумная семейка
  • Пернатый двор
  • Тест Олег
  • Капитан, капитан, улыбнитесь!
  • нимфа-Кузя
  • Наша шумная компания. Разные и такие одинаковые.
  • Мирон и его фан-клуб
  • фоточки и истории моих попугов(и не только

Поиск результатов в...

Поиск контента, содержащего...


Дата создания

  • Начало

    Конец


Дата обновления

  • Начало

    Конец


Фильтр по количеству...

Найдено 5 результатов

  1. ооооннннффф

    Срочно прошу помощи!

    Добрый день.Срочно прошу помощи.Попугай корелла,примерно 4 месяца. Взяли примерно 2 недели назад,по содержанию не могу выделить особых недочётов,всё простерелизованно,корм RIO.Единственная проблема,то ,что попугай обжора и я его закормила. Первые дней 12 прекрасно и энергично себя вел,правда с координацией было туговато в первые дни,списывала на возраст и отсутствие полетов. Два дня назад резки поменялся кал и попугай стал падать на дно клетки,теряя равновесие,чаще спит на полу,так же поменялся кал и малыш перестал реагировать на внешние раздражители,так же на клюве появились слоения,торчит грудная кость.Прикрепляю фото Боюсь идти к местным врачам и поэтому прошу помощи,заплачу любые деньги
  2. Мими2

    Попугай съел соль

    Здравствуйте. Волнистый попугай погрыз 3-4 кристаллика крупной соли. Пока бодр и весел. Нужно ли что-то предпринимать, кроме обеспечения свежей воды в доступе?
  3. Здравствуйте, недели 3 назад приобрели кореллу. Мальчик, 6 мес . С самого начала он очень сильно кричал и прыгал по клетке и чесался. Мы отвезли в ветклинику, там обнаружили пухопероедов, и в кале глистов. Все нам прописали как делать и что давать. Но после обработки попугая чистотелом от пухопероедов, чесаться он стал меньше, а после и вовсе перестал. Но теперь птица все время в усталым состоянии. Сидит все время на одной лапе , потом на другой. Просыпается иногда и бежит к корму. Ест, как мне кажется, много. Каа думаете, это отравление? (К врачу съездить не можем, он в отпуске, а другого нет)
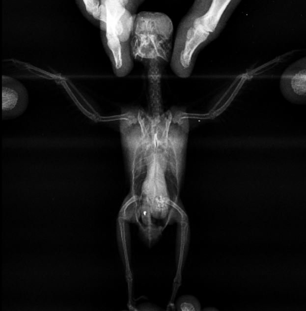
  4. 2. напишите вид птицы; неразлучник 3. её возраст и пол; самец, 3,5 года 4. подробно распишите рацион (с указанием названий кормов и витаминных препаратов); корм для средних попугаев PADOVAN 5. опишите условия содержания птицы (температуру и влажность воздуха в комнате) и длину светового дня; обычные, только много что грыз, когда летал. На кухне, но тефлона нет. 6. опишите настораживающие вас симптомы; Сначала упал на спину и были судороги, потом вялость, тошнота, снова судороги, лежал на дне клетки. Сейчас нахохлившийся. 7. напишите, как давно птица болеет; 8 дней 8. если птицу уже лечили то, пишите: 8.1. какие исследования, где и как давно проводились; ПЦР желудочно-кишечный. Рентген 8.1.1. каковы их результаты; ПЦР - НЕ ОБНАРУЖЕНО: амебиаз, криптоспоридиоз, лямблиоз, мегабактериоз, ротавирусная инфекция, сальмонеллез, трихомоноз. Рентген - подозрение на отравление тяжелыми металлами (см. картинку) 8.2. какие препараты, в каких количествах и как долго применялись; Раствор Рингера-Локка по 1 мл подкожно, 2 раз в день, 4 дня, Вазелиновое масло - 2 дня, Псилиум 3-5 капель, 3 раза в день, 3 дня. 8.3. каковы результаты лечения. После трех дней рингера-локка снова появились судороги. Добрый день! 15 января (среда) резко со шкафа (где сидела) упала и сразу умерла самка. Причину не поняли. На следующий день (четверг) со шкафа упал самец на спину и начались судороги, рвота зернами. Подумали на отравление, дали смекту. В пятницу получили онлайн консультацию с предварительным диагнозом - бактериальная инфекция, которая перешла в обострение и дала интоксикацию. Прописали антибиотик, ношпу, нистатин, гепатовет. Дозы не пишу. Ношпу дали 2 раза, антибиотик 2 раза, нистатин 1 раз, гепатовет 2 раза. На следующий день визуально стало хуже птице (в субботу), поэтому повезли в поликлинику. В поликлинике сделал рентген и предварительный диагноз - отравление тяжелыми металлами (см. снимок). Выписали раствора рингера-локка подкожно по 1мл, вазелиновое масло, псилиум по 3-5 капель 3 раза в день (предыдущее назначение мы отменили). В воскресенье дома он лежал на животе на дне клетки, решено было отвезти в стационар, где и продолжили назначенное лечение. Во вторник (21 января) забрали домой (сел сразу на дно клетки, хохлился, ночью спал на жердочке). В среду сделали укол рингера-локка 2 раза, дали 2 раза псилум. Днем тошнило между уколами. Вечером начались судороги. Дали разведенную каплю дексаметазона, глюконат кальция, витамин B12, пирацетам. Судороги ушли. В четверг (сегодня) даем глюконат кальция, витамин B12, пирацетам. Предыдущее лечение пока не даем (рингер-локка и псилиум). Состояние сегодня: не ест почти, немного попил, сидит на жердочке, хохлится, порывался вылететь из клетки. Кал темно-зеленый. Все это время попугай не ест почти, по зернышку клюет. Докармливаем безмолочной кашей, контролируем вес. На фотках: кал на второй день болезни (17 января), рентген в субботу (18 января) Дорогие форумчане, скажите, пожалуйста, что это может быть за диагноз все-таки, какое нужно лечение (ибо мы три раза меняем уже)? Правильно ли во время судорог давать разведенный дексаметазон (1:5) или есть что-то помягче?
  5. Здравствуйте, форумчане! Содержу щегла и чижа. Чиж сиделый, щегол был куплен зимой от заводчика. Ситуация такая: был куплен спрей Мильбензерстраубер от эктопаразитов. Спрей посоветовали в одной достаточно популярной сети зоомагазинов как возможный для применения с профилактической целью и якобы абсолютно безвредный. Вообще, повод для беспокойства был - перья щегла стали ломкими, а живут птицы в одной клетке. Час назад нанесла раствор на оперение птиц. Против роста, головы закрывала. Первое время птицы были активны. Одну птицу сразу отсадила в клетку-переноску(щегол), другая вырвалась, сбежала и пришлось смывать ей раствор(чииж) После того, как смыла раствор (минут 15), заметила, что щегол стал стучать лапкой о пол переноски (тремор? судорога? просто дрожь?). Буквально спустя 5 минут обе птицы стали тяжело дышать, заваливаться, закрыли глаза. Щегол все время трясет крыльями. Иногда открывает глаза, встряхивается. Может сидеть на пальце. Чиж хуже. Оба сейчас под лампой, грею... Что произошло? Пожалуйста, помогите мне, нерадивой. Очень жалко птиц. Не пойму, что я сделала не так. ЗЫ: щеглу стало легче. В руках начал сопротивляться, активнее ходить, стоять на лапках. Но потом все равно закрывает глаза и трясет крыльями

×
×
  • Создать...
© MyBirds.ru, 2003 - 2026

Все материалы данного сайта, в том числе структура расположения информации и графическое оформление (дизайн), являются объектами авторского права. Копирование информации на сторонние ресурсы и сайты сети Интернет, а также любое иное использование материалов сайта без предварительного согласия правообладателя НЕ ДОПУСКАЕТСЯ.

При копировании материалов сайта (в случае получения согласия правообладателя), размещение активной индексируемой гиперссылки на сайт обязательно.